Abandoned & Little-Known Airfields:
California: Santa Rosa Area
© 2002, © 2026 by Paul Freeman. Revised 2/20/26.
This site covers airfields in all 50 states: Click here for the site's main menu.
For a 9th year, the CA pages of this website are sponsored by the California Pilots Association:
____________________________________________________
Please consider a financial contribution to support the continued growth & operation of this site.
Buck Airport / Pingpank Airport / Doolittle Petaluma Airport (added 9/6/23) - Calistoga Airpark / Calistoga Gliderport (revised 2/20/26) - Cotati NOLF (revised 11/27/21)
Daniel Airfield / Inglenook Ranch Airfield (revised 7/3/23) - Justman Airport (added 9/8/23) - Oak View Airport (added 9/8/23) - Petaluma Airport (added 9/7/23)
Petaluma Sky Ranch Airport (added 9/8/23) - Santa Rosa Airpark / Trap Field (revised 7/23/22) - Santa Rosa Metropolitan Airport / Santa Rosa Coddingtown Airport (revised 12/22/24)
Santa Rosa Municipal Airport / Steiner Field (revised 7/24/22) - Santa Rosa NAAS / Santa Rosa Air Center (revised 7/3/23) - Sebastopol Airport / Cnopius Field (revised 6/19/22)
____________________________________________________
Buck Airport / Pingpank Airport / Petaluma Doolittle Airport, Petaluma, CA
38.249, -122.611 (North of San Francisco, CA)

A post-1925 aerial view of Buck Airport.
Terry Park reported, “Petaluman George Buck, a licensed pilot, formed a partnership with mechanic Lawrence “Pinky” Pingpank in 1925
to establish a number of enterprises on a 40-acre ranch property on the west side of Putnam Road (now Ely Boulevard) between Washington Street & Casa Grande Road.
The planned business was to include a public landing field, a flying school, and an aircraft & automobile factory.
The airfield was named Petaluma Airport, and flying lessons were provided & aircraft sold. But there is no indication the automobile factory was built.
Pingpank had previously built & serviced aircraft, so that was his job, while Buck, 24, handled the flying.
Buck made news throughout 1925 including an aircraft race, an air circus over Petaluma, his marriage to Miss Alice Turner, and moving into his new house on the airport premises.
Buck’s mother Mary purchased the 40-acre property for the airport.”
The earliest depiction which has been located of Buck Airport was a post-1925 aerial view (courtesy of Carl Molesworth),
which showed Ely Road running diagonally across the upper-right.
Terry Park reported, “On 4/1/26, Buck took a job with the Varney Air Mail Company to fly a U.S. Mail route from Washington state to Nevada.
He remained the owner of the Petaluma Airport, but in his absence Pingpank was in full charge.
On 4/8/26, Buck had a motor problem & crash-landed, but he & his companion suffered only minor injuries.
Eventually, Buck’s wife & friends convinced him flying was too dangerous, so he took a full-time job with the Varney Air Mail Company in its Oakland office.”
Terry continued, “Various owners of the Petaluma Airport came & went through the late 1920s, including Buck & Pingpank, but no records of the various sales have been found.
By 1929 Pingpank had moved on to a job with the Wing Company in Salt Lake City.
Subsequent airport owners included William Fletcher, Ralph Sherzer and the last owner, Harry Doolittle.
Historian Ed Fratini, in a 1981 broadcast on KTOS, recalled that Bill Fletcher was a salesman at Sanderson Ford & also owned one of the first airplanes in Petaluma.
When an aviator arrived at Petaluma & needed a ride into town from the airport, he would buzz the Sanderson dealership downtown, and Fletcher would drive out to Ely Road to meet the plane.
A few years later, Fletcher took a job flying for Shell Oil. He died in a plane crash in 1933.”

A 2/26/35 photo (courtesy of Petaluma Historical Library & Museum) of Fairchild FC-2W2, NC7006 serial # 140, as used by Admiral Richard Byrd on his 1929 & 1934 Antarctic explorations,
which had stopped at Petaluma Airport on a promotional tour.

A 2/26/35 photo (courtesy of Petaluma Historical Library & Museum) of Harry Doolittle's Fleet 2 biplane NC617M construction #183, in front of the Doolittle School of Flight hangar at Petaluma Airport.

A 2/26/35 photo (courtesy of Petaluma Historical Library & Museum) of Waco biplane NC765K in front of the Doolittle School of Flight hangar at Petaluma Airport.
Terry Park reported, “The Great Depression took its toll on airport business, and in June 1935 Doolittle put Petaluma Airport up for sale.
In January 1936 the American Trust Bank foreclosed on the property because Doolittle defaulted on a loan payment.
The property probably was put back into agricultural use.”
No airfield in Petaluma was depicted on 1936/38/40/42/44/45 Sacramento Sectional Charts.
A 1952 aerial photo showed the site of Petaluma Doolittle Airport remained an open field,
with 1 building (possibly the former hangar) on the northeast side.
A 1968 aerial photo showed the site of Petaluma Doolittle Airport remained an open field,
but the possible former hangar had been removed at some point between 1952-68.
A 1982 aerial photo showed houses & streets had covered the site of Petaluma Doolittle Airport.

A 2023 street map annotated by Terry Park to show the property outline (blue) & runway location at the site of Petaluma Doolittle Airport.

A 2021 aerial view showed no trace remaining of Petaluma Doolittle Airport.
____________________________________________________
Petaluma Airport, Petaluma, CA
38.262, -122.652 (North of San Francisco, CA)

Petaluma Airport, as depicted on the September 1946 Sacramento Sectional Chart.
Carl Molesworth reported, “Petaluma had lacked a functioning airport for a decade when World War II ended in 1945.
With veterans flowing back into the community and a postwar economic boom sure to come, Petaluma was a prime location for the development of new aviation facilities.
One of the drivers of this effort was the Servicemens' Readjustment Act of 1944, commonly known as the G.I. Bill,
a law that provided a range of benefits for most of the returning World War II veterans (commonly referred to as G.I.s).
Benefits included low-cost mortgages, low-interest loans to start a business or farm, one year of unemployment compensation,
and dedicated payments of tuition & living expenses to attend high school, college, or vocational school.
Under the G.I. Bill, air-minded veterans would have the means not only to learn to fly, but also to establish flight schools that would make this possible.”
Carl continued, “The first two proposals to build a new Petaluma Airport were rolled out at a Chamber of Commerce board meeting less than two weeks after the signing of the armistice with Japan on 9/2/45.
Three local businessmen presented the more substantial of the two plans.
Paul Straub, a Petaluma contractor, and Ross Forry & Joe Feikert, owners of Forry & Feikert Garage, were the partners.
They were not yet pilots, but all three were eager to learn how to fly. 'I want to fly NOW', Forry said at the meeting.
To that end, Forry told the Chamber Board on September 11 that they had broken ground for a runway the previous evening
on farmland owned by Straub near the railroad crossing on North McDowell Road, and it would be ready for airplanes soon.
It would have been a simple matter for them to create the strip, since Straub not only owned the land but also had the construction machinery needed to clear space for the runway.
Construction continued into November, by which time the partners had obtained sanctioning from the Civil Aeronautics Administration for their airfield.
They also had formed a company, Petaluma Skyways, with veteran pilot J.A. 'Al' Norton as manager.
In December, Petaluma Skyways was approved as G.I. Bill flight school, and 22 students already had enrolled for flight training.
The company also obtained franchises to sell Luscombe & Taylorcraft aircraft.”
No airfield in Petaluma was depicted on the 1945 Sacramento Sectional Chart.
Carl Molesworth reported, “In April 1946, 17-year-old Joan Watson, a senior at Petaluma High School, became the first female student pilot to solo at Skyways.
Clifford Skoog, a former U.S. Army Air Force pilot, was her instructor.
Straub also soloed, Forry already was flying a plane he had purchased, and Feikert was still in training.
The co-owners started building a repair shop & restrooms, but hangar construction was being held up by a shortage of materials due to the postwar building boom.
Paul Straub bought out his partners Forry & Feikert, and in September 1946 he leased the airfield to Norton, who took over Petaluma Skyways as well.”
The earliest depiction which has been located of Petaluma Airport (on the north side of the town) was on the September 1946 Sacramento Sectional Chart.
It depicted Petaluma Airport as a commercial/municipal airport.

A 9/2/46 Argus Courier advertisement described Petaluma Airport as “under new management.”, with proprietor J.A. Norton, and manager Johnnie Johanson.
It was described as offering airplane sales, service and rentals; pilot training, charter service, for Aeronca, Taylorcraft, Piper Cub, Luscombe and Stearman aircraft.
Carl Molesworth reported, “Flight training under the G.I. Bill continued to be a popular program,
and in January 1949 Norton announced that 59 student pilots had signed up at Petaluma Skyways since his school obtained VA approval.
He added another service that July when Petaluma Skyways began advertising round-trip charter flights between Petaluma & Reno for 4 people at a cost of $98.
The first sign that flight training under the G.I. Bill might be endangered came in February 1948,
when U.S. Rep. Bernard Kearney introduced a bill in Congress to eliminate flight training as 'vocational' training from the G.I. Bill.
Norton & his cross-town competitor, George Justman of Justman Flying Service on the other end of McDowell,
joined an effort by the California Aviation Trades Association to defeat the bill.
Norton said he stood to lose $30,000 if the bill passed.
Not only would he have to sell 6 or 7 of his 10 planes at a loss, but he also would lay off 3 instructors, 2 mechanics and 1 office staffer.
The fight in Washington went on throughout the spring.
In June, Norton urged all flight trainees to telegraph their congressmen in opposition to the bill to kill G.I. Bill funding for flight training.
Apparently, that tactic was successful, as Norton received a letter from the CATA later that month thanking him for helping to maintain the status of VA flight training as 'vocational'.”
Carl continued, “November 1948 was notable, as G. Kephart of Petaluma became the 100th flight student to earn a private pilot’s certificate at Petaluma Skyways.
Norton also announced that his newest service was consignment sales of airplanes for private owners and that he now owned Napa Sky Ranch along with his Petaluma operation.
Petaluma Airport maintained a healthy level of activity, and a report in July 1949 contained the following details:
Bill Combs flew his new Beechcraft to Ohio; two Petaluma men flew a Cessna to Fort Bragg to collect abalone from the rocks;
postal worker Gene Bell chartered a flight to Marysville that took 45 minutes, while a bus would have taken 4-5 hours.
Local businessman Ralph Fitzpatrick was the newest flight student., and several pilots applied for flight instructor courses under the G.I. Bill.”
Carl continued, “A renewed effort to remove flight training from the G.I. Bill succeeded, and in April 1950 Norton issued a reminder to would-be student pilots that time was running out to use their benefits.
Perhaps connected to this, a group of soldiers stationed at Two Rock formed a flying club & bought a Piper Cub, which they based at Petaluma Airport.
Lewis Eckman & Gil Avila serviced the plane. Several members already had their licenses, and the rest planned to use the Cub for flying lessons.
A report in June 1950 stated Petaluma Skyways had taught more than 300 students to fly since the end of the war.
Twenty aircraft were based at the field, and a helicopter often used it, too. A crop duster, Art Newman of Kelseyville, used the field during mosquito spraying season.”
Carl continued, “With Cold War tensions building, in April 1951 Petaluma Airport and Justman’s Sky Ranch were designated as Control Airports for smaller fields
(such as the Waldo Rohnert strip at Cotati) by the California State Aeronautics Commission as part of the CAA’s civil defense plan.
But the end was near for Petaluma Skyways & Petaluma Airport.
On 4/29/51, Al Norton & a passenger, Leonard “Penn” Donovan, suffered critical injuries in an airplane accident at Petaluma Airport.
After emergency treatment in Petaluma, Norton was sent by ambulance to Franklin Hospital in San Francisco on May 2 for further treatment.
He was released from the hospital & returned to the airport, where he & his wife had a residence, on July 26 with a heavy cast on one leg.”
Carl continued, “Further tragedy struck in the early hours of 4/10/52, when Norton awoke at 5am to see the large hangar aflame.
The Penngrove Fire Department responded quickly, but the crew was too late to save the hangar, the 3 airplanes stored inside, or Norton’s car.
Paul Straub, who leased the airport & land to Norton & owned the uninsured hangar, estimated the loss at $20,000.
The cause of the fire was not determined.
For all intents & purposes, the fire was the end of Petaluma Skyways.
There were no further mentions of Norton or Petaluma Skyways in the press.”

The last aeronautical chart depiction which has been located of Petaluma Airport (on the north side of the town) was on the 1952 Sacramento Sectional Chart.
It depicted Petaluma Airport as having a mere 1,900' unpaved runway.

The only photo which has been located of Petaluma Airport (on the north side of the town) was a 1952 aerial view (courtesy of Carl Molesworth).
It depicted Petaluma Airport as having a single unpaved northwest/southeast runway, with 1 light single-engine plane parked on the north side.
Petaluma Airport was evidently closed at some point between 1952-53,
as it was no longer depicted on the 1953 Sacramento Sectional Chart.
Carl Molesworth reported, “There was no listing for Petaluma Skyways or Al Norton in the 1953 Petaluma telephone directory. By 1956 the land had reverted to farming.”
A 1968 aerial photo showed the site of Petaluma Airport remained an open field, but with no aircraft or buildings.
A 1982 aerial photo showed the Petaluma Airport site remained an open field.
A 1993 aerial photo showed a road & a large building had been built over the center of the the Petaluma Airport site.

A 2021 aerial view looking northeast showed no trace remaining of Petaluma Airport.

A 2023 street map annotated by Terry Park to show the property outline (red) & runway location at the site of Petaluma Airport.
Carl Molesworth reported in 2023, “These days, several office buildings & a storage facility on Southpoint Boulevard stand alongside the former site of the Petaluma Airport runway.”
____________________________________________________
38.239, -122.611 (North of San Francisco, CA)

Justman Airport, as depicted on the September 1946 Sacramento Sectional Chart.
No airfield in Petaluma was depicted on the 1945 Sacramento Sectional Chart.
Carl Molesworth reported, “The man who made the greatest contribution to aviation in the Petaluma area during the postwar period was George Justman.
Justman was working for United Airlines when he took a military leave of absence to become an Army pilot during World War II.
When the war ended in 1945, he decided to return to his career in civilian aviation & settled on Petaluma as the place to do it.
At the same time, he would be able to continue his military flying with the Air Force Reserve at nearby Hamilton Field.
Like the partners at rival Petaluma Skyways, Justman saw opportunity in the new G.I. Bill, which provided veterans with a variety of benefits that included paying for flight training.
He acquired 22 acres from the Perry Ranch on South McDowell, cleared a grass landing strip running perpendicular to the road & began signing up students for his flight school.
He proved an able promoter of civil aviation in general & his business in particular, writing articles for the newspaper about his students’ successes,
organizing a flying club called the 'Throttle Benders' & partnering with the Petaluma Lodge #475 Loyal Order of the Moose to form an Air Scouts troop.
He added a hangar at Justman Field & purchased several Aeronca Champion light aircraft for trainers.”
The earliest depiction which has been located of Justman Airport was on the September 1946 Sacramento Sectional Chart.
It depicted Justman as a commercial/municipal airport.
Carl Molesworth reported, “Justman Flying Service thrived for 3 years, but by 1948 it was becoming clear that residential development around his airfield would soon make the site untenable.”

The last aeronautical chart depiction which has been located of Justman Airport was on the February 1949 Sacramento Sectional Chart.
It depicted Justman Airport as having a mere 1,800' unpaved runway.
Carl Molesworth reported, “Justman’s new Sky Ranch Airport opened on 7/10/49”, at which point Justman Airport was presumably closed.
Justman Airport was no longer depicted on the September 1949 Sacramento Sectional Chart.
A 1952 aerial view showed the site of Justman Airport remained an open field, with 2 T-hangars along the northeast side.
A 1968 aerial photo showed the site of Justman Airport remained an open field, but the 2 T-hangars had been removed at some point between 1952-68.
A 1982 aerial photo showed streets & houses had covered the Justman Airport site.

A 2021 aerial view showed no trace remaining of Justman Airport.

A 2023 street map annotated by Terry Park to show the property outline (orange) & runway location at the site of Justman Airport.
____________________________________________________
Oak View Airport, Petaluma, CA
38.252, -122.58 (North of San Francisco, CA)

A 2/9/46 Argus Courier advertisement described Oak View Airport as offering student instruction, passenger flights, and a Taylorcraft dealership.
No airport in Petaluma was yet depicted on the February 1946 Sacramento Sectional Chart.
The earliest reference which has been located to Oak View Airport was a 2/9/46 Argus Courier advertisement
It described Oak View Airport as offering student instruction, passenger flights, and a Taylorcraft dealership, and listed the manager as as D.O. Spurlock.

The earliest depiction which has been located of Oak View Airport was on the September 1946 Sacramento Sectional Chart.
It depicted Oak View as a commercial/municipal airport.
According to Carl Molesworth, a 4/18/46 Argus Courier story listed D.O. Spurlock as Oak View Airport's field manager & CAA inspector,
and said that 5 students had received their pilot certificates.
The last advertisement which has been located for Oak View Airport was a May 1946 advertisement (according to Carl Molesworth).

The last aeronautical chart depiction which has been located of Oak View Airport was on the February 1947 Sacramento Sectional Chart.
It depicted Oak View Airport as a commercial/municipal airport.
Oak View Airport apparently closed after only a year, as it was no longer depicted on the February 1948 Sacramento Sectional Chart.
A 1952 aerial view showed open fields near the Oak View Airport site, with no specific recognizable trace of an airfield.

A 2021 aerial view showed no trace remaining of Oak View Airport.
____________________________________________________
Petaluma Sky Ranch Airport, Petaluma, CA
38.259, -122.614 (North of San Francisco, CA)

Petaluma Sky Ranch Airport, as depicted on the September 1949 Sacramento Sectional Chart.
Petaluma Sky Ranch Airport was not yet depicted on the February 1949 Sacramento Sectional Chart.
Carl Molesworth reported, “The man who made the greatest contribution to aviation in the Petaluma area during the postwar period was George Justman, founder & longtime operator of the Petaluma Sky Ranch.”
From 1945-48, Justman operated Justman Airport, until residential development made the Justman Airport location untenable.
Carl Molesworth reported, “In October 1948, Justman received a use permit from Sonoma County to build a new airport on property he purchased from the Pronini Brothers on East Washington Street.
The permit allowed for construction of a Class 1 airstrip for light aircraft, along with four hangars to house 12 aircraft, living quarters, offices & the Justman Flying Service flight school.
Justman’s new Sky Ranch Airport opened on 7/10/49, with an open house that featured flight demonstrations, parachute jumps & flyovers by military aircraft.
Sky Ranch Airport quickly became a popular destination for pilots from the Bay Area and beyond, and in June 1950 Justman recorded more than 70 takeoffs and landings by visiting aircraft.
His flight school also was thriving, even though the GI Bill funding for flight training was soon to expire.
In addition to primary flight training, Justman Flying Service also offered courses for commercial flying & flight instruction.”
The earliest depiction which has been located of Petaluma Sky Ranch Airport was on the September 1949 Sacramento Sectional Chart.
It depicted Petaluma Sky Ranch Airport as having a 2,100' unpaved runway.
The earliest photo which has been located of Petaluma Sky Ranch Airport was a 1952 aerial view.
It depicted Petaluma Sky Ranch Airport as having a single northwest/southeast unpaved runway, with several small buildings & 5 light single-engine aircraft on the northeast side.
Carl Molesworth reported, “Presumably, Petaluma Sky Ranch benefited from a reduction in competition with the demise of the Petaluma Skyways operation on North McDowell in the spring of 1952.
International affairs also began to have an impact on Justman’s operation with the increased tensions of the Cold War & the outbreak of hostilities on the Korean Peninsula.
In April 1951, Petaluma Sky Ranch was designated a Control Airport by the California State Aeronautics Commission under its civil defense plan.
Pilots departing from the Waldo Rohnert Airfield at Cotati for flights higher than 4,000' were required to file flight plans at Sky Ranch.
By 1953, the GI Bill funding for flight training was restored as a benefit for American servicemen & women returning from Korea, and signups at Justman Flying Service picked up.
In addition, Justman joined the newly formed Private Airport Owners Association, an organization tasked with advocating for the interests of privately-owned airports such as Petaluma Sky Ranch.
Wear & tear on the busy little airport was inevitable, and in 1954 the Sky Ranch runway & turnaround strips were resurfaced, and a sidewalk was installed at the ready room.”

The earliest topo map depiction which has been located of Petaluma Sky Ranch Airport was on the 1954 USGS topo map.
It depicted Petaluma Sky Ranch Airport as having a single northwest/southeast paved runway, with a row of 8 hangars along the northeast side.

The earliest photo which is available of Petaluma Sky Ranch Airport was an early 1950s photo of an Aeronca Champion sits in front of the operations building & residence (courtesy of the Petaluma Historical Library & Museum).

A 1950s photo of George & Violet Justman & their 2 sons in front of a Justman Flying Service Cessna at Petaluma Sky Ranch Airport (courtesy of the Petaluma Historical Library & Museum).
Carl Molesworth reported, “Justman’s Flying Service used the Cessna for flight training, charters and fire-spotting.”

A mid-1950s aerial view looking west (courtesy of the Petaluma Historical Library & Museum) showed Petaluma Sky Ranch Airport to have an asphalt Runway 11/29,
with a dozen small hangars & over 20 light aircraft.
Carl Molesworth observed, “Housing was beginning to encroach on the west side of Sky Ranch Airport.”
Carl Molesworth reported, “By 1954, Sky Ranch promoted itself as Northern California’s largest private airport.”
Carl Molesworth reported, “Interest among certain Petaluma leaders for a city-owned airport dated all the way back to the end of World War II, and began picking up again as the 1960s touched down.
On 4/29/61, Justman published a long column in the local newspaper questioning the need for a publicly-owned airport in Petaluma.
He mentioned that many city leaders feared that zoning around the airport, allowing housing developments, would eventually make the airport untenable.
He went on to report that of the 26-30 airplanes based at his airport, only 3 belonged to Petaluma residents.
But by this time, George Justman’s 14-year marriage to the former Violet Patocci of Petaluma was coming to an end.
He soon left Petaluma & leased out the airport & business to H.E. York & Sons, who later turned over the lease to three partners, Howland Smith, Thomas Cole and William Connors, with Harold French serving as airport manager in 1965.”

A mid-1960s aerial view (courtesy of the Sonoma County Library) from final approach to Petaluma Sky Ranch Airport's Runway 11, with hangars visible to the left.
Carl Molesworth reported, “Connors wrote an article for the Argus-Leader in 1969 extolling the virtues of the airport,
including its 2,200' paved & lighted runway, its FAA-approved flight school & a variety of aviation services including aircraft maintenance, rentals, charters & air taxis.
He quoted FAA statistics showing 22,000 takeoffs & landings in 1967.
In 1970, Violet Tufts, Justman’s ex-wife, sold the airport property but retained the flight school & was operating it herself.
She reported the following year that 60 planes were based at the field, and Adobe Aviation had 30 students & 12 employees. Seven businesses were using the airport.
The recently formed Petaluma Pilots Association had 73 members.”

The last aeronautical chart depiction which has been located of Petaluma Sky Ranch Airport was on the November 1971 San Francisco Sectional Chart.
It depicted Petaluma Sky Ranch Airport as having a 2,100' paved runway.
Carl Molesworth reported, “Mike Jose, a well-known one-armed pilot, managed the airport from 1972-77.
In 1973, John Runyon took over the flight school, followed in 1975 by Jim Higgins, who also was doing charters & rentals.”

A 1973 photo (courtesy of the Sonoma County Library) of 2 Cessnas in front of the Petaluma Sky Ranch Airport sign on East Washington Street.
Carl Molesworth observed, “The Justman name had been painted out from the Petaluma Sky Ranch sign.”

A 1976 aerial view by George Christenson (courtesy of the Petaluma Historical Library & Museum) looking north at Petaluma Sky Ranch Airport.
Carl Molesworth observed, “This shows the Petaluma Sky Ranch at its peak, with its 2,200' paved & lighted runway, 7 open-sided hangars & nearly 40 aircraft parked on the facility.
Beyond to the east is the Schlake Ranch, where the current Petaluma Municipal Airport would be built in 1984-85.”
Carl Molesworth reported, “Despite the activity at the airport, its days were numbered as residential neighborhoods continued to encroach.
In September 1977, Petaluma Vice Mayor Bill Perry, a licensed pilot, had convened a committee to discuss plans for a municipal airport.
This time, the city meant business. Plans were made for the city to acquire Petaluma Sky Ranch & property east of to it for a new, larger airport with sufficient buffers from nearby residential neighborhoods.”

A 1978 photo of a Piper landing at Petaluma Sky Ranch Airport (courtesy of the Sonoma County Library), showed how close the airport’s runway was to neighboring houses.
Carl Molesworth reported, “Mike Jose owned & operated Petaluma Sky Ranch from 1980-82.”
The last photo which has been located of Petaluma Sky Ranch Airport was a 1982 aerial view.
It depicted a very well-used airport, with dozens of light planes parked in between the hangars along the northeast side.
Carl Molesworth reported, “Phil & Sharon Perrin bought the airport in 1983 & stayed for one year before selling it to the City of Petaluma.
The Sky Ranch was dismantled, and Petaluma Municipal Airport opened in 1985.”
Petaluma Sky Ranch Airport was no longer depicted on the 1993 San Francisco Sectional Chart, which instead depicted the replacement Petaluma Municipal Airport.
A 1993 aerial view showed the adjacent Petaluma Municipal Airport had been constructed.
A road had been built over the alignment of the former Petaluma Sky Ranch Airport, and all of the hangars had been removed.

A 2021 aerial view looking north showed Sky Ranch Drive overlaying the location of the former Petaluma Sky Ranch Airport runway, with the replacement Petaluma Municipal Airport directly adjacent to the northeast.

A 2023 street map annotated by Terry Park to show the property outline (purple) & runway location (yellow) of the former Petaluma Sky Ranch Airport,
noting the present-day Petaluma Municipal Airport directly adjacent.
As of 2023, the site of Petaluma Sky Ranch Airport is memorialized by the name of Sky Ranch Drive which overlays the former runway location.
____________________________________________________
Sebastopol Airport / Cnopius Field, Sebastopol, CA
38.405, -122.815 (Northwest of San Francisco, CA)

According to Jonathan Westerling, “Sebastopol Airport / Cnopius Field was the first nationally recognized airport in Sonoma County.”
The earliest depiction which has been located of Sebastopol Airport
According to the book "Two Hours By Crow" by Howard & Judith Campbell (courtesy of Wings of History),
“The field had been used by local pilots like August Huck since 1924 when he kept 3 Curtiss JN-4D Jennys there on an informal basis.
Sam also had an aircraft with a Gnome rotary engine.”
In his paper “Sebastopol’s Airport“, local historian John Cummings wrote, “In summer of 1925 President Louis Cnopius of the Sebastopol Chamber of Commerce...
responded to the need for a local airport by clearing a portion of his land on the east side of the Laguna opposite the city’s sewer farm on Morris Street.”
According to Jonathan Westerling, “As aviation happenings were frequently newsworthy events,
there are many references to the Sebastopol Airport which can be found in the archives of local newspapers.”
Again according to John Cummings, “Sebastopol’s 11/11/25 Armistice Day celebration...
Included a flying circus at Sebastopol’s new airport, described as the most spectacular flying circus yet in the North Bay.
About 30 airplanes visited the new dirt landing field including 2 big U.S. Army De Haviland bombing machines
from the Presidio’s Crissy Field & a plane flown by Arthur Starbuck.
Events included formation flying over the city, stunt flying, dead stick landings, parachute jumps,
wing walking and other aerial acrobatics, a free for all, and airplane races.”
According to the book "Two Hours By Crow" by Howard & Judith Campbell (courtesy of Wings of History),
“In 1926 B. M. & Louis Cnopius opened the empty field as the Sebastopol Airport with Louis as the operator.
Louis was the President of the Chamber of Commerce & also owned a feed store in Santa Rosa & the slaughter house just to the east of the field.”

Sebastopol Municipal Airport, as depicted on the November 1926 Aeronautical Bulletin (courtesy of Jonathan Westerling).
It depicted the airport as having 2 perpendicular runways, measuring 2,640' north/south & east/west.
It also showed the location of a proposed hangar on the southeast side of the airport property.
According to John Cummings, “In early August 1927, Charles Lindbergh was invited to stopover in Sebastopol to inspect the airport.
Sebastopol was described at the time to be one of the few cities of its size in the U.S. with an airport.”
The 1928 Airplane Landing Fields of the Pacific West (according to Jonathan Westerling)
described Sebastopol Airport as having a 2,640' runway.
Jonathan Westerling noted, “It did not mention the dimensions of the crosswind runway, but specified a circle marker at the runway intersection.
Interestingly, it also listed the field as being unavailable during the 'spring grazing season'!”
According to Jonathan Westerling, “In what could be described as the peak day for aviation at Sebastopol Airport,
the 5/16/28 addition of Santa Rosa’s Press Democrat heralded that an air caravan would make a 'good will' visit to Sebastopol’s airport.
The paper proclaims that the local schools banks and businesses will close a half hour before noon
and everyone was expected to descend on the airport to witness the arrival of 11 noted airmen.”
The paper said “The Sebastopol Post of the American Legion had directed a large force of workmen for several days
to grade, scrape & smooth the runways for the event.
L.C. Cnopius, ardent air fan & owner of the property on which the airport is located has erected a large wind cone.”

The following day, the Santa Rosa paper recapped the days events:
“One of the largest crowds ever assembled in the county, a throng estimated at 10,000 persons crowded at the flying field.”
At a luncheon, Frank Flynn [described as a Flying Ace of the World War] spoke about the Sebastopol airport:
“Aviation is making such rapid strides that a town without an airport will soon be out of the picture.
Sebastopol has made a fine start and has a good tract that with a few changes can be made into a first class airport.”
According to John Cummings, in the following year, “Louis Cnopius was reported to be rapidly improving his airport by building a new large hangar
82' wide by 15' high – large enough to house 3 planes), improving drainage,
and lengthening & widening the main runway to accommodate the Standard Oil Company’s tri-motor airplanes.
To encourage visitors to attend Sebastopol’s annual August apple show,
Cnopius built a more convenient auto entrance to his airport just east of the Laguna bridge & a better parking area in the early summer of 1929.”
According to the book "Two Hours By Crow" by Howard & Judith Campbell (courtesy of Wings of History),
“On 5/16/29-5/19/29 an air meet was held in conjunction with the town's annual Apple Blossom Fair,
and Lieutenants Harry Doolittle & Ralph Scherazer, ex-Army pilots from Mills Field in San Bruno, opened their Flying School using their 2 Waco biplanes.
Harry taught the Ground School & Ralph instructed in the air.
By October they had added a 3rd plane, and by 1930 they had packed up the entire school & moved to Atkinson Field in Petaluma.
During this time the Sebastopol Aero Club was formed with Harry guiding its operation.
Within a very short time Fred Lencioni formed the Sonoma County Flying Club in Santa Rosa & absorbed the forerunner.
The Sebastopol Chamber of Commerce put $5,000 into the clean up of the site in 1930
and tried to make the air meet an annual addition to the Apple Blossom Fair, but most of the activity was leaving the Airport by then.”

An early 1930s photo of what was perhaps the largest plane to ever land in Sebastopol:
this Ford Tri-motor which brought guests to the Bohemian Grove (courtesy John Cummings & Pacific Coast Air Museum).

An undated photo of Sam Huck in his Curtis Jenny biplane, which was hangared at Sebastopol (courtesy John Cummings & Pacific Coast Air Museum).
According to Jonathan Westerling, “Just 2 years later, by 1931 aviation activities in the county
had shifted largely to the nearby Santa Rosa Municipal airport (Richfield Airport), since Santa Rosa was a far larger city.
Flights into & out of Sebastopol became less & less frequent.”
According to the book "Two Hours By Crow" by Howard & Judith Campbell (courtesy of Wings of History),
“By 1932 Jim Ford took over the operation but couldn't devote all his time to the field as he was running the Airport Service Garage (now the Chevron auto gas station) and the Airport Auto Wrecking Co. on the site.
During this time, the airport really reverted to a 'landing field' & was pretty much left unattended.
Nature was another thing that conspired to limit its usefulness.
Winter rains in the eastern foothills would cause the Russian River, 7.5 miles to the north, to flood and the water would back up Laguna de Santa Rosa all the way to Cotati.
From the map, it is apparent that most of the field would be under water until spring each year.
In fact, when the County instigated their flood control plans in later years, the Laguna de Santa Rosa was cleared of obstructions & specified as a water relief channel to control the flood waters.”

A circa 1933 photo of a Kinner (perhaps a Playboy?) in front of Cnopius’ big hangar (courtesy John Cummings & Pacific Coast Air Museum).
According to John Cummings, “Jim Ford, a pilot during WWI, took over operation of the airport property in the early 1930s.
Jim & his wife, and their young growing family lived in the residence in the back of the big hangar.
Jim used the large hangar to store auto parts from his Wrecking Yard.
While apparently Jim did not disturb the runways, it appears reasonable to say that Sebastopol no longer had an airport at this time,
but simply had a nearby landing strip that was occasionally used by airplanes.
The main business on the property was the wrecking yard & the sale of used auto parts.”
According to the book "Two Hours By Crow" by Howard & Judith Campbell (courtesy of Wings of History),
“One of the few memorable events was the landing of Ford 4-AT-E (4-AT-62) Tri-motor, NC8400,
to let off the S.F. auto dealer Earl Anthony on his way to the Bohemian Grove Encampment at Monte Rio on the Russian River in 1935.
After this the field fell into disuse.”
Chuck Woodbury recalled, “My uncle, Jim Ford, was the proprietor of the Airport Auto Wreckers.”
The 1936 Directory of Airports & Landing Fields (according to Jonathan Westerling)
listed the Sebastopol Airport with a slightly longer 2,800' primary runway, but the cross runway had been reduced to 1,600'.

The earliest aeronautical chart depiction which has been located of Sebastopol Airport was on the May 1936 Sacramento Sectional Chart.
It depicted Sebastopol as an auxiliary airfield.

A 1937 photo of Cnopius Field covered by the Laguna Flood (courtesy John Cummings & Pacific Coast Air Museum).
According to Jonathan Westerling, “A story in the December 1937 edition of the Sebastopol Times
detailed flooding of the airport area including the hangar & residence where the Ford family lived.
A motor boat was used to rescue some of the family’s belongings from the second floor of their residence.
This flooding was likely the demise of formal operations at the Sebastopol Airport.”
Sebastopol Airport was no longer listed among active airfields in the 1938 Directory of Airports & Landing Fields (according to Jonathan Westerling).,
nor depicted on the February 1939 Sacramento Sectional Chart (courtesy of Ron Plante).

The last map depiction which has been located of Sebastopol Airport was on a circa 1940 street map (courtesy of Kevin Walsh).
According to the book "Two Hours By Crow" by Howard & Judith Campbell (courtesy of Wings of History),
“The field was closed forever on 12/8/41 as the nation went to war.”
Sebastopol Airport was no longer depicted on the 1942 USGS topo map.

A 1946 photo (courtesy of Chuck Woodbury) of his father, Clarence Woodbury, in front of the Sebastopol hangar.
According to Chuck Woodbury, “After WWII there was no trace of a runway at the airport.
It was nothing but pasture land. I know this because I was living in the quarters behind the hangar at the time.
The only aircraft to land there was an AT-6 Texan that was being ferried to another destination from TX & spent several days there before moving on.
The day the aircraft was supposed to arrive he didn't show until after dark
so my father & I had to go out in the pasture with flashlights to line up a rather deep ditch to keep the airplane out of it.”
According to John Cummings, “After the war [WW2] the new owner of the property apparently did not support the reuse of Sebastopol’s local airfield.”

The last photo which has been located showing any element of Cnopius Field was a circa 1950 photo of the former hangar (courtesy of Sally Morrison of the West County Museum).

A 7/1/52 USGS aerial view showed no recognizable trace of Sebastopol Airport.
According to John Cummings, “The airport wrecking yard appears to have continued operation through to at least the late-1960s.
The southern portion of the former airport property became Sebastopol’s 58-acre industrial irrigation field
for the disposal of the city’s fruit processing wastewater in 1972.”

A 5/26/09 aerial view shows that the former Sebastopol Airport property remains largely clear, but with no recognizable trace of a former airport.
The site of the Sebastopol Airport is located northeast of the intersection of Morris Street & Sebastopol Avenue.
____________________________________________________
Daniel Airfield / Inglenook Ranch Airfield (O44), Rutherford, CA
38.47, -122.446 (North of San Francisco, CA)

Daniel Airfield, as depicted on the 1951 USGS topo map (courtesy of Jonathan Westerling).
According to Jonathan Westerling, “This small private airstrip ferried many of California’s famous winemakers in & out of Napa Valley over several decades.
Located on Inglenook Ranch Winery, the airport was constructed by John Daniel Jr., whose father managed the vineyard from 1919-33.”
According to a 2006 article by the California Farm Bureau Federation,
John Daniel was “A Stanford University graduate, aviator and talented businessman.
He worked closely with his friend, the famed winemaker Robert Mondavi, to establish the basis for the Napa Valley [wine industry] as it's known today.”
According to the book "Two Hours By Crow" by Howard & Judith Campbell (courtesy of Wings of History),
“When the paved airfield was put in by the Daniel family in the late 1930s, John Daniel would fly his assorted Cessnas from this strip for business & pleasure.
The last one was a Cessna 182. There was also a floatplane & 3 North American AT-6 Texans.
The Texans offer the best stories. One of the owners was Louis Stralla, ex-mayor of St. Helena & the power that had Bell Canyon Dam built to supply most of the water to the town of St. Helena.
Louis didn't have a pilot's license, but he loved the sound of the big Pratt & Whitney R-1340 turning out 600 hp.
He would go out to this field, get his plane out of the hangar, and taxi up & down the runway, while John Daniel & his other buddy were flying their T-6s.
One day the wind came up and before Louis knew it, the tail was up & then the main gear was off the ground!l!
Louis chopped the power & got her back to earth, stopped at the northwest end, walked back to his truck, and went home, he never came back to the field.”
According to a 1990 entry in NASA's Aviation Safety Reporting System,
the airfield was established in 1947 & was commonly used as an ‘emergency’ airstrip by gliders based in Calistoga.
According to the book "Two Hours By Crow" by Howard & Judith Campbell (courtesy of Wings of History),
“The strip was locally known as Rutherford International, which prompted a number of interesting phone calls over the years.
Sometime about 1959 the land was sold to the Inglenook Ranch Wineries & the name changed to reflect the new owners.
We don't think the Winery ever used it, but it was so named on the San Francisco Sectionals.”
The earliest depiction which has been located of Daniel Airfield was on the 1951 USGS topo map (courtesy of Jonathan Westerling).
It depicted the field as having a single northwest/southeast runway, with circular turn-around pads at both runway ends,
and a ramp on the southwest side.
The 1951 Airman's Guide (courtesy of Jonathan Westerling) described “Inglenook Ranch” as having a 1,600' dirt runway, “For emergency use only”.

The earliest photo which has been located of Inglenook Ranch Airfield was the 1965 USGS aerial view (from the UCSB Library, courtesy of Jonathan Westerling).
It depicted Inglenook Ranch as having a single paved northwest/southeast runway, with circular turn-around pads at both runway ends,
and 2 light single-engine aircraft parked on a paved ramp on the southwest side.
Also note the former runway portion which extended across the road to the southeast, which was marked with several closed-runway “X” symbols.
The 1967 AOPA Airports USA Directory (courtesy of Jonathan Westerling) described “Inglenook Ranch” as having 1,670' oiled Runway 11/29,
and described it a “Private strip closed to public”.
According to Jonathan Westerling, “John Daniel died unexpectedly in his sleep in 1971,
but the airfield on his property was maintained & actually improved after his death
and continued to be used by the property owners & for emergency landings.”
The 1979 AOPA Airports USA Directory (courtesy of Jonathan Westerling) described “Inglenook Ranch”
as having 1,700' asphalt Runway 11/29,
and described it a “Private, closed to public”.

The earliest aeronautical chart depiction which has been located of Inglenook Ranch Airfield
was on the April 1980 San Francisco Sectional Chart (courtesy of Paul Columbus).
It depicted Inglenook Ranch as a private airfield having a paved 1,700' runway.

The last aeronautical chart depiction which has been located of Inglenook Ranch Airfield
was on the 1988 San Francisco Sectional Chart (courtesy of Jonathan Westerling).
It depicted Inglenook Ranch as a private airfield having a single paved 1,700' runway.
According to a 1990 entry in NASA's Aviation Safety Reporting System,
power lines on the north end of the airstrip were difficult to spot when landing to the south.
Jonathan Westerling noted, “Alarmingly, the same report stated that the power company [Pacific Gas & Electric]
declined to install power line 'ball' markers when the airport owner even offered to pay for them.
A year later, a Cessna 210 became entangled in those same wires & crashed on takeoff (according to the NTSB).
Luckily there were no injuries from that event, which is the last documented use of the airfield.”

A 1993 aerial view looking north at Inglenook Ranch Airfield shows the single runway in the middle of the field, with a hangar on the west side.
According to the book "Two Hours By Crow" by Howard & Judith Campbell (courtesy of Wings of History),
“It was so named [Inglenook] on the San Francisco Sectionals through 1994, when it was removed.”
During an overflight on 6/8/97 we photographed the ground where the former runway was still visible as a scar under the rows of vines.
The hangar was still there but now houses only the winery equipment.”
According to Jonathan Westerling, “When Francis Ford Coppola acquired the remaining Inglenook properties in 1995,
he maximized the number of grapevines on the property, removing the runway & replacing it with vineyards.”

The 1999 USGS topo map still depicted the Daniel Airfield as having a single northwest/southeast runway, with a ramp on the southwest side.

A 2003 photo by Jonathan Westerling looking north along the orientation of the former runway at Inglenook Ranch.
The 2004 book "Two Hours By Crow" by Howard & Judith Campbell (courtesy of Wings of History) reported,
“The land is now owned by Pine Ridge Winery & the runway has been plowed under.”

A 2015 aerial view looking north at Inglenook Ranch Airfield shows that a former hangar remains intact, and the runway alignment can still be discerned among the fields of grapevines.

A 2023 photo looking west at the former Inglenook Ranch Airfield hangar.
The site of the Inglenook Ranch Airfield is located at the western terminus of Whitehall Lane.
____________________________________________________
Cotati Naval Outer Landing Field, Cotati, CA
38.35, -122.72 (Northwest of San Francisco, CA)

A 1942 aerial photograph looking northeast at the Cotati airfield (National Archives photo, courtesy of Dan Sebby), taken prior to the construction of any buildings or fuel tanks.
Both runways had been constructed, but the concrete apron had not yet been built.
According to the book "Two Hours By Crow" by Howard & Judith Campbell (courtesy of Wings of History),
“In 1941, the 12th Naval District was tasked with setting up a aviation training facility somewhere near their main base on Alameda Island.
They purchased 245 acres from the Rohnert Seed Company in Cotati.
By November, a month before the Pearl Harbor attack on December 11th caused the U.S. to go to war, ground had been broken for the 2 crossed runways, and a combined barracks & control tower building.
Then came the surprise! The winter rains in this area cause the Russian River, some 14 miles to the north, to swell & back water up through the Laguna de Santa Rosa Creek that drains the Air Station land.
After struggling through the spring of 1942, construction continued; but by the spring of 1943, the Navy realized the limitations of the site & moved their Auxiliary Air Station north to Santa Rosa off State Route.
This now became an 'Outlying Field'. With the downgrading of its status, only minimum facilities were built & the site was used for carrier takeoff & landing practice.”
"Two Hours By Crow" continued, “White staple-shaped marks were painted on the asphalt runways to define the flight decks of the trainees' future nautical bases.
These marks were 85' wide with 230' long legs; the closed ends of a set were 2,200' apart on Runway 7/25; and 2,550' apart on Runway 13/31.
These simulated ship lengths were much longer than the available flight decks thus compensating for the lack of forward speed of the ground.”
The earliest photo which has been located of the Cotati airfield was a 1942 aerial photograph looking northeast (courtesy of Dan Sebby).
The photograph showed the 2 paved runways as nearly complete, but the field was still lacking its concrete apron & any buildings.
The Cotati airfield was not yet depicted on the September 1942 Sacramento Sectional Chart.
An additional 75 acres were acquired on 6/16/43 by Declaration of Taking between the Federal Government & the Cotati & Rohnert Companies,
bringing the base's total acreage to 217 acres.
NAAS OLF Cotati became operational in 1943.
Cotati was primarily used for touch & go exercises for aircraft from Alameda & Santa Rosa Naval Air Stations.
A 2-story control tower was located on the southeast side of the field.

The earliest aeronautical chart depiction which has been located of NOLF Cotati was on the August 1943 Sacramento Sectional Chart.
It depicted “Cotati (Navy)” as an auxiliary airfield.
According to a 1944 General Layout Map of the Cotati Air Facility, the field contained runways, a control tower,
fire & crash truck garage, gasoline & oil storage, a small arms magazine, and a machine gun range.
The 1944 US Army/Navy Directory of Airfields (courtesy of Ken Mercer) described "Cotati OLF, Navy" as having a 3,900' runway.

A 1944 aerial photograph looking southwest at the Cotati airfield, in its complete WW2-era configuration (National Archives photo, courtesy of Dan Sebby).

A 1944 aerial photograph looking south at Cotati's ramp & control tower (National Archives photo, courtesy of Dan Sebby).
"Two Hours By Crow" continued, “Training progressed from the first Grumman F4F Wildcat, Douglas SBD Dauntless, and Grumman TBF Avenger;
to the much later Grumman F8F Bearcat, Curtiss SB2C Helldiver, and a few Chance- Vought F4U Corsairs.”
The 1945 AAF Airfield Directory (courtesy of Scott Murdock) described “Santa Rosa Field Auxiliary (Cotati Outlying Field)”
as a 200 acre irregularly-shaped property containing 2 asphalt runways, measuring 4,000' ENE/WSW & 3,800' northwest/southeast.
The field was not said to have any hangars, to be owned by the U.S. Government, and operated by the Navy.
Cotati was described as “Inactive”.
As of 1945, Cotati was one of 2 outlying fields assigned to NAAS Santa Rosa (according to John Voss).
In 1945 there were several sub-base runway failures due to flood-related moisture.
Documents found in the National Archives indicated that repairs were requested & approved,
but due to the extent of failures these costly repairs were never completed.
After the military ceased operations at Cotati in 1945 the airfield remained idle for several years.
"Two Hours By Crow" continued, “The field was closed in 1946.”

"Cotati (Navy)", as depicted on the 1946 Sectional Chart (courtesy of Dann Shively).
On the 1948 Sacramento Sectional Chart (courtesy of John Voss),
Cotati was still depicted as an active Navy Field, with the largest runway being listed as a 4,000' paved strip.
It was still labeled "Cotati (Navy)" on the 1949 Sacramento Sectional Chart (according to Chris Kennedy).
A 1949 Memorandum from the Commander, Naval Air Bases, 11th & 12th Naval District states that Cotati was in inactive status.
The arable lands were under a lease for agricultural purposes,
and the Sonoma County Peace Officers’ Association used the rifle range under a permit.

The 1950 USGS topo map (courtesy of John Voss) depicted "Cotati Naval Auxiliary Air Station (Inactive)" as having 2 paved 4,000' runways,
one oriented east/west, and the other northwest/southeast, each with parallel taxiways.
A small paved ramp area was on the southeast side of the airfield.
There did not appear to be any hangars depicted on the map, just one very small building along the side of the ramp.
"Two Hours By Crow" continued, “The field was declared surplus in 1950.”
Drag racing historian Bret Kepner said that drag racing occurred on the former Cotati runways as early as 1952, and that the runways were "bumpy as hell".
He confirmed that Cotati was one of the true "originals" in drag racing.
The 1952 San Francisco Local Aeronautical Chart (courtesy of Jonathan Westerling)
depicted “Cotati OLF (Navy)” as having 2 paved runways, with the longest being 4,000'.
In 1953, the Cotati airfield property was suggested as a location for Sonoma State College, but this was not pursued.

A 10/13/52 aerial photo (from the UCSB Photo Library) depicted the Cotati airfield after being abandoned, but still intact.

The 1954 USGS topo map (courtesy of Kevin Walsh) labeled the airfield as "Cotati Naval Auxiliary Air Station (Inactive)".

"Cotati OLF (Navy)" was still depicted on the March 1954 USAF Sacramento Sectional Chart (courtesy of Chris Kennedy),
but the Aerodromes table listed the field's status as "Unattended".
On 2/16/56, Naval Outer Landing Field, Cotati was declared excess by the military.
At some point in 1956, a total of 95 acres were leased to M.J. Azevedo for agricultural purposes.
Cotati NOLF was no longer depicted at all on the 1957 Sacramento Sectional Chart (according to Chris Kennedy).
In 1957, the California Research Corporation requested a license covering
the use of the Cotati runways for road testing purposes.
A lease for 35 acres was approved for a period of one year from 1957-58.
Another lease permitted the City of Santa Rosa to use the former Navy runways for drag racing.

A diagram showing the race layout over the abandoned Cotati runways from a 1957 program of the "First Cotati Road Race" (courtesy of Dann Shively).
According to Chad Murray, a longtime resident remembered that "When the strip was closed down,
the neighbor at the end of [Airport Road] turned the old facility into a drag strip & would collect $ for entrance."

A 1957 aerial photo depicting the former Cotati runways being reused as a racetrack (courtesy of Gary Horstkorta, via Dann Shively).

A 1958 photograph looking southwest at Cotati's abandoned control tower, from a 1958 GSA property appraisal (courtesy of Dan Sebby).
The report described “the condition of this building is extremely poor as the sashes & doors have been destroyed,
the ceilings disintegrated & very little of value remaining other than salvage.”
On 7/21/58, the Federal Government conveyed the entire 217 acres to Michael Callan by deed.
Chuck Ross recalled, "I used to go to drag races there in about 1959 or so.
The quarter-mile strip ran toward the northwest & the pits were down the other runway to the west.
A driver named Jay Cheatham was killed there about that time."
Apparently, the Cotati airfield saw at least some unofficial reuse as a civil airfield.
Hugh Codding (who owned the Cotati property in 1999) recalled that he used to fly his small plane into the former landing field in the 1950s
while it was being utilized for drag racing & road testing.
The former Cotati airfield was no longer depicted at all on the 1961 Sectional Chart (courtesy of Dann Shively).

A 1963 photo of a Lotus & Maserati racing on the former Cotati runways.
"Two Hours By Crow" continued, “The 'Street Angels' held drag races there and Sports Car Club of America, the Formula Racing Association, and the Racing Drivers Club all used the runways as a race track in the 1960s.”

The last aerial photograph which has been located which depicts the Cotati airfield before it was largely redeveloped
was this 1965 USDA aerial photograph of the former Cotati airfield (courtesy of Dan Sebby).
The photograph showed obvious signs of tire tracks on the runways during the site's reuse as a racetrack;
racing facilities were present along the northwest/southeast runway.
The tank location looked undisturbed; structures were still in place over the tanks.
No other buildings from the former NAAS OLF Cotati facility were present except for the tanks.
In the spring of 1968, developer Hugh Codding offered to sell the 80 acre site to the County for development as the South County Airport,
but the County Board of Supervisors would not even consider the proposal.
In 1971, Redwood Drive was relocated on the eastern border of the former airfield & off/on ramps were constructed on the former field.
Rohnert Park Expressway also was built between 1971-73.
A 1977 aerial photograph obtained from the City of Rohnert Park showed that the northwest corner of the property had been covered by the Rancho Verde Mobile Home Park,
and retail construction had taken place over the eastern edge of the site as well.
However, the eastern half of both runways still remained intact.


Two 1985 photos John Voss of the former runways at NOLF Cotati, before they were redeveloped.
In 1986, Codding Enterprises began redevelopment of another portion of the former airfield for retail shopping centers,
which eventually included a K-Mart & Target.
A 1987 aerial photograph obtained from the City of Rohnert Park showed that further redevelopment had taken place,
with only the outline of the southeastern end of the former northwest/southeast runway still somewhat recognizable.

The layout of the racetrack which used the former Cotati runways, superimposed over the 1993 USGS aerial photo of the site (courtesy of Gary Horstkorta, via Dann Shively).
The photograph otherwise showed that all traces of the former airfield had been removed by 1993.
As of 1999, the property was still owned by Codding Enterprises, a property management company.
The property consisted of Ranch Verde Mobile Home Park to the north, theater, bank, restaurants,
office buildings & retail stores to the south & an apartment complex to the east.

A 2013 aerial photo showed no trace remaining of the Cotati airfield.
The site of Cotati NOLF is located at the present-day intersection of Rohnhert Park Expressway & Labath Avenue.
The former airport access road is still there, appropriately named "Airport Road".
Thanks to Chad Murray & David Freeman for pointing out the Cotati airfield.
See also:
A 1999 Army Corps of Engineers report about Cotati
http://www.sonic.net/~kargo/rphistory.htm
____________________________________________________
Calistoga Airpark / Calistoga Gliderport (O58), Calistoga, CA
38.58, -122.575 (North of San Francisco, CA)

Calistoga Airport, as depicted on the August 1947 Sacramento Sectional Chart.
This general aviation airfield was reportedly built by Dave Compton just after WW2.
It was located right in the center of the small town of Calistoga, east of the intersection of Lincoln Avenue & Washington Street.
Calistoga Airport was not yet depicted on the February 1947 Sacramento Sectional Chart.
The earliest depiction which has been located of the Calistoga Airport was on the August 1947 Sacramento Sectional Chart.
It depicted Calistoga as a commercial/municipal airport.
According to the book "Two Hours By Crow" by Howard & Judith Campbell (courtesy of Wings of History),
“On 7/6/47 the new field was dedicated & by 1949 it had gone commercial.
Dave Compton of Santa Rosa Airpark managed the operation from 1947.”
The 1948 Sacramento Sectional Chart (courtesy of Jonathan Westerling) depicted Calistoga as having a 2,200' unpaved runway.
The 1949 Sacramento Sectional Chart (according to Chris Kennedy)
also depicted Calistoga as having a 2,200' unpaved runway.

The earliest photo which has been located of the Calistoga Airport was an undated aerial view looking north from the 1950 Air Photo Guide (courtesy of Kevin Walsh).
It described Calistoga Airport as having a 2,450' oiled Runway 10/28, and listed the manager as Dave Compton.

A 9/24/56 USGS aerial view depicted Calistoga as having an unpaved northwest/southeast runway,
with 6 single-engine planes parked around some small buildings on the west side.
Calistoga's runway was apparently paved at some point between 1949-57,
as it was described on the 1957 Sacramento Sectional Chart (according to Chris Kennedy) as having a 2,800' hard-surface runway.

A 1957 aerial view (from the UCSB Library, courtesy of Jonathan Westerling) depicted Calistoga Airport as having a paved northwest/southeast runway,
with a few small aircraft near some small buildings along the southwest side.

The 1958 USGS topo map depicted Calistoga Airport as a single paved northwest/southeast runway, labeled simply as “Landing Strip”,
with a few small buildings along the southwest side.
It was listed as Calistoga Airpark in the 1962 AOPA Airport Directory,
with a single 2,800' asphalt Runway 9/27, and the operator was listed as Dave Compton.
Don White recalled, “Calistoga Airport... We lived in the area from 1964-74.
Dad kept a Tripacer there at first then in 1965 my dad brought his Bonanza there. He kept it there for about 9 years. I spent a fair amount of time there.
The airport was busy sometimes during the week, and very busy on weekends. There was lots of skydiving & sailplane activity. I remember a Cessna 195 that hauled skydivers & sailplanes.
There were others too, a Cessna 185, 206, a Pawnee. There was a friend of my dads named Ray Johnson that worked there & hauled skydivers & sailplanes.
He would basically put the plane into a spin to get back down & the last 3/4th of the turn would be sort of a downwind, base & final!
There would often be many skydivers & sailplanes waiting so he & whatever other pilots worked them couldn't get up & down fast enough!
They would usually pull the sailplanes up on the east side of town; the hot side of the valley. Against the hills that would really absorb the afternoon heat.
It would often be well above 100 degrees in the summer, and they would 'pour on the coal' to get them up there, then dump them & get the plane on the ground as fast as they could to haul up the next glider or load of skydivers!
There was a mechanic on duty that did some annuals on my dad's plane & likely the tow planes. Ray was an A&E & worked on them too.”
Don continued, “When I got older I spent a lot of time riding dirtbikes in the hills east of town. The highrocks we all called the area.
Many times up there resting on a promintory we had sailplanes swoosh over our heads as they perhaps lost lift or maybe just had fun flying over us!”
Don continued, “In 1964 the Hanley fire started north of Calistoga. We lived in Knights Valley not far from where it started.
My dad brought a 15' camp trailer to the airport & had a friend stay in it with us while he went back to see what he could do. We were just north of the skydivers shed at the northeast end of the runway.
A fire-whipped twister demolished the skydivers shed & at the same time spun our trailer around with us in it! The next morning we saw the sorry remains of the shed! That was something!”
Don continued, “My dad used to keep his plane on the west side of the airport near a bulk fuel storage area.
A railroad used to run by it on the west side of the runway; even then it was abandoned. Dad did a lot of flying out of there.
Sometimes he wouldn't get back until after dark. When he was going to land there at night he would have my mom go to the south end of the runway, and point the car lights to the north.
He would land over the top of the car. Mom had us get out of the car & stand to the side. I remember the whoosh sound as the plane flew over 40' from us, and we would swear 2' over the car. I suppose it wasn't that close but it looked that way!
Later dad talked to the owner, Dave Compton into installing pilot-controlled lighting on the field. Dad would do the installation. Dad's occupation was in electronics so he built the system to control the lights.
There was a small airport office at the north end of the field near the fuel island & I remember dad working in there installing the equipment. It worked fine & made life easier for whoever landed there at night.
Its hard to imagine all of that activity then, and now its completely silent as far as aviation goes!! A sad end to a once busy airport!”
Gliders have graced the skies above Calistoga regularly since 1968,
when Jim Indrebo leased the primitive field & began offering glider rides, lessons, rentals & tows.
According to the book "Two Hours By Crow" by Howard & Judith Campbell (courtesy of Wings of History),
“Dave Compton managed the operation [until] 1968.
Dave then sold out to Jim Indrebo who ran the soaring/gliding operation as Calistoga 68.
Dave then sold out to Jim Indrebo who ran the soaring/gliding operation as Calistoga Soaring Center.
Jim used a pair of Piper PA-25 Pawnee tow planes to take his fleet of American Schweizer & German Schleicher ASK gliders to altitude along the western slopes of Mount Saint Helena.”

The cover of an undated (circa 1970s?) brochure for the Calistoga Soaring Center (courtesy of Kevin Walsh).
Indrebo operated the Calistoga Soaring Center for the next 21 years.
Though the field's 2 narrow runways were used mostly by tow planes & gliders,
Calistoga was open to other aircraft as a privately owned, public-use airport.

Calistoga Airport, as depicted on the 1976 Pilot's Guide to CA Airports (courtesy of Chris Kennedy).

The April 1980 San Francisco Sectional Chart (courtesy of Paul Columbus) depicted Calistoga as having a paved 2,600' runway.
According to the book "Two Hours By Crow" by Howard & Judith Campbell (courtesy of Wings of History),
“By 1980 the field had changed to a 'Private - For Public Use' category.”

A 5/28/82 photo of 1968 Schweizer SGS 2-32 N7706S at Calistoga Gliderport.
In the 1982 AOPA Airport Directory (courtesy of Ed Drury), Calistoga was described as having a single 2,600' asphalt Runway 10/28,
and the operator was listed as Calistoga Soaring Center.

A 1982 road atlas (courtesy of Kevin Walsh) depicted it as “Calistoga Airport (soaring)”.

By 1984, Calistoga's runway length had continued to decrease, as the 1984 Sectional Chart (courtesy of Dann Shively) described the field as having only a 2,000' paved runway.
According to the book "Two Hours By Crow" by Howard & Judith Campbell (courtesy of Wings of History),
“In 1988 the 'Public Use' status was removed & powered aircraft were excluded unless prior permission had been granted because of the glider operations.”
Calistoga Soaring Center closed its doors on 11/12/89 & moved the entire operation to Middletown Gliderport & become 'Crazy Creek Soaring'.”
In 1989, both Indrebo & Jim & Pat Merchant competed to buy the 40 acre airfield in 1989.
The Merchants won, and Indrebo then negotiated with John Merchant
for a lease that would allow him to continue operating the Calistoga Soaring Center there.
"We weren't able to come to terms, and that is why I left," Indrebo said.
The Merchants then bought some gliders & tow planes, and opened a new business,
Calistoga Gliders, on the Calistoga airfield.
They limited the operation to tourist rides, choosing not to offer soaring lessons,
rentals or tows for private sailplane pilots, or to allow use of the airfield by other private planes.
Bob Francis recalled, “Calistoga was a great day venture in my Luscombe hangared at Palo Alto.”

By the time of the 1990 San Francisco Sectional Chart (courtesy of Dann Shively), Calistoga was depicted as a private airfield.

A May 1990 photo taken by Ken Mercer at Calistoga Gliderport,
showing “the back of my tour pilot’s head on the takeoff run (southbound down the valley).”

A May 1990 photo taken by Ken Mercer showing Calistoga Gliderport's operations shed, with another glider just getting started on it’s tow.
Ken recalled, “My fiancé & I walked down from our hotel on Main Street,
I took the ride while she sat in an Adirondak chair under the trees & the proprietor grilled hamburgers between customers.
Pretty idyllic, and I’m really sorry now it’s all gone now.”

The last photo which has been located showing Calistoga Gliderport still in operation as a 1993 USGS aerial view looking northeast,
in which a half-dozen gliders & light aircraft were visible at bottom-left.
As with many of the Wine Country's outdoor attractions & tourist services,
the Merchants' glider operation was hurt by the harsh, wet winter & spring of 1997-98.
Pat Merchant said that in addition to having a poor year financially,
she & her husband learned that if they were to continue operations at the airfield
they would have been required to replace a buried single-wall gasoline storage tank with a double-wall tank.
She said that would cost them between $60,000-$70,000.
Rather than risk another lean winter, the Merchants chose to shut down the Gliderport in 1998.
Merchant, who also owns the Indian Springs resort that adjoins the glider airport,
said she & her husband have no plans in hand for developing the land or putting it to some other use.
She added, though, "This is a piece of property that some day could have some really wonderful things."
Word that gliders have been grounded In Calistoga was received sadly in the mud-bath & wine town.
Longtime glider pilot Steve Brosseau of Santa Rosa said he was keeping his fingers crossed
that something might happen to preserve the land as an airfield.
"It's hard to imagine Calistoga without the glider port," he said.
At the time of its closure, the airfield at Calistoga consisted of 2 runways (the primary, Runway 9/27, was a 2,800' asphalt strip),
a small paved ramp west of Runway 9, and several small hangars.
According to the book "Two Hours By Crow" by Howard & Judith Campbell (courtesy of Wings of History),
“The field was reopened as Calistoga Glider Port but that too closed in December 1998 & all flying ceased.”
In a more recent 2000 photo, the runway markings were no longer visible, but the field & buildings were otherwise intact.

A 180-degree panorama of the remains of the Calistoga Airport, by Jonathan Westerling, 2003.

A 2003 photo by Jonathan Westerling of what used to be the main hangar at Calistoga Airport, now reused as a ceramics shop.

A 2003 photo by Jonathan Westerling of a hangar (that appear to be of recent construction) on the west side of the Calistoga runway.

A 2003 photo by Jonathan Westerling, looking north along the remains of the Calistoga runway,
from what used to be the end of the pavement.

Jonathan Westerling visited the site of the Calistoga Gliderport in 2003.
His report: "Given that the Calistoga Gliderport was located right in the center of a popular tourist community,
I should probably be thankful that the property has not yet been built up.
However, I couldn't help feeling a bit amazed that this hasn't happened at all."
Jonathan continued, "The buildings & location of the Gliderport remain largely intact.
The hangars, some vacant, are in fine shape.
The asphalt runway is unfortunately no more - having been ground up within the last year.
The resulting piles of gravel lie at the north end of the runway.
The parallel grass strip is less obvious, though it exists as a meadow to the east of the main runway -
which is now a 2,000' long gravel rut."
Jonathan continued, "From my visit, I feel it would still be easily possible for an enterprising soul
to bring the graceful fiberglass birds back to the skies above Calistoga.
For now, however, Napa Valley remains devoid of any fixed wing facilities to accommodate its residents & visitors."
The Calistoga Airport was no longer depicted at all (even as an abandoned airfield) on 2003 aeronautical charts.

A 2015 aerial view looking northeast shows that most of the Calistoga Airport runway pavement had been removed,
although the airport buildings remained standing & the majority of the site remained clear.

A 1/17/16 photo by Bob Francis, “of what is left of the Calistoga Gliderport.
Remnants of Runway 10/28 are clearly visible (looking down Runway 10).”

A 1/17/16 photo by Bob Francis of “the gravel taxiway leading to the vintage wood frame hangars” at Calistoga Gliderport.

A 1/17/16 photo by Bob Francis of “the vintage wood frame hangars” at Calistoga Gliderport.

A 2023 photo looking southeast at the former hangars, one of which still bears the “Calistoga Gliderport” legend.
Thanks to Don Rodrigues for pointing out this airfield.
See also: Santa Rosa Press Democrat 10/30/98.
____________________________________________________
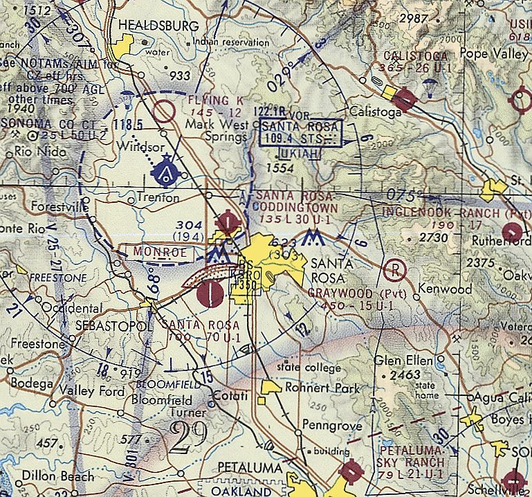
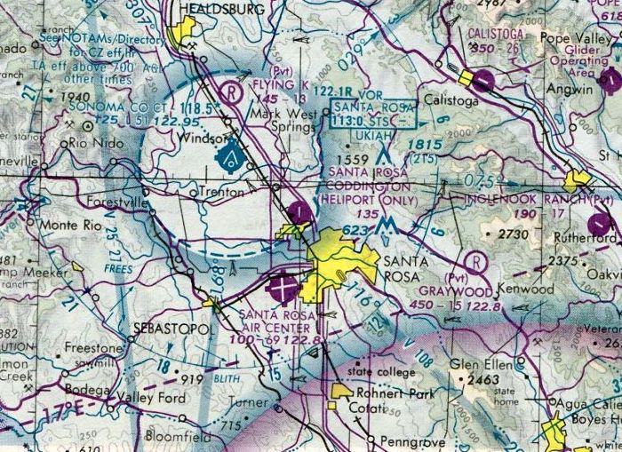
Santa Rosa Naval Auxiliary Air Station / Santa Rosa Air Center,
Santa Rosa, CA
38.41, -122.76 (Northwest of San Francisco, CA)

A 1944 aerial view looking southeast at Santa Rosa (National Archives photo).
According to M.L. Shettle's book “United States Naval Air Stations of World War II, Vol. 2: Western States”,
“In 1942, the Navy traveled to Sonoma County, northwest of San Francisco Bay,
and purchased property to build a main station & an OLF [Outlying Field].
Construction of the proposed NAAS began in November 1942, near the small town of Cotati, 8 miles south of Santa Rosa.
The next month, work began on an OLF 2.5 miles southwest of Santa Rosa.
When drainage problems were encountered at Cotati, the Navy reversed the plans developing Santa Rosa as the main station & Cotati as the OLF.
NAAS Santa Rosa commissioned on 6/29/43, [as] an auxiliary of [NAS] Alameda.”
Shettle continued, “Beginning on August 6, the station's first tenant, CASU 13, arrived for training prior to embarking for the South Pacific.
CASU 13, departed on September 20, and 4 days later, CASU 18 arrived.
CASU 18's stay lasted less than a month when it also departed.
On October 20, CASU 36 commissioned & was permanently based at the station to support the carrier squadrons present.
For the next few months, several squadrons were aboard including VT-2, VB-2, VB-11, VF-28, and VC-4.”
The 1944 US Army/Navy Directory of Airfields (courtesy of Ken Mercer)
described "NAAS, Santa Rosa" as having a 7,000' hard-surface runway.
As constructed by the Navy, the airfield consisted of 2 paved 7,000' runways,
taxiways, ramps, hangars & other buildings.
According to M.L. Shettle's book “United States Naval Air Stations of World War II, Vol. 2: Western States”,
“Starting in January 1944, the first of 3 shore-based support squadrons arrived for several months of operational training.
These squadrons, VB-301, VB-302, and VB-303, operated SBDs - the last one departed May 3.”

The earliest aeronautical chart depiction which has been located of NAAS Santa Rosa
was on the April 1944 Sacramento Sectional Chart (courtesy of Ron Plante).
It depicted “Santa Rosa (Navy)”.
According to M.L. Shettle's book “United States Naval Air Stations of World War II, Vol. 2: Western States”,
CAG 6, reformed at Alameda in April, transferred to Santa Rosa on May 10, and conducted operational training for the next 6 months.
About the same time, an expansion program doubled the station's aircraft capacity.
In September, the first unit of CAG 5, VT-5, came aboard.
After CAG 6 left in November, CAG 5's remaining squadrons, VF-5 & VB-5, transferred in.”
Shettle continued, “The next 2 months, Marine fighter squadrons VMF-452 & VMF-214, assigned to CAG 5, joined the air group at Santa Rosa for training.
CAG 5, along with the Marine squadrons, embarked on the Franklin 2/8/45.
CAG 19 replaced CAG 5 later in February with a new VBF bomber/fighter squadron of F6Fs.
VF-19 received the Navy's first F8F Bearcats in May. The war ended before the Bearcats reached the combat area.
Santa Rosa finished out the war with CAG 11's & VBF-151 aboard.”
Shettle continued, “Santa Rosa's 498 acres had two 7,000' concrete runways plus a catapult & arresting gear system.
Total Navy investment in the facility topped $4.5 million.
In a rather mundane matter, the Navy sold hay cut on the property in May 1945 for $51.
As of 1945, Santa Rosa had 2 outlying fields (according to John Voss):
NOLF Cotati & NOLF Little River in Mendocino County to the north.
The 1945 AAF Airfield Directory (courtesy of Scott Murdock) described “Santa Rosa Field”
as a 252 acre irregularly-shaped property containing 2 concrete 7,000 runways, oriented north/south & east/west.
The field was said to have a single 125' x 60' wood hangar,
to be owned by the U.S. Government, and operated by the Navy.
"Santa Rosa (Navy)" was still depicted as a Navy airfield on the 1946 Sectional Chart (courtesy of Dann Shively).
According to M.L. Shettle's book “United States Naval Air Stations of World War II, Vol. 2: Western States”,
“Santa Rosa's status changed from an NAAS to an OLF of Alameda in 1947.”

Santa Rosa was evidently relinquished by the Navy at some point between 1946-47,
as it was depicted as a civil airfield, "Santa Rosa", on the southwest side of the town of Santa Rosa on the 1947 USGS topo map.

The 1948 Sacramento Sectional Chart (courtesy of Jonathan Westerling)
depicted “Santa Rosa” as a civilian airport having a 7,000' hard-surface runway.

A 1949 USN "Map of Auxiliary Air Station Santa Rosa" (courtesy of John Voss).
"Santa Rosa" was depicted as a civil airfield on the 1949 Sacramento Sectional Chart (according to Chris Kennedy),
and described as having a 7,000' hard-surface runway.
Santa Rosa was reactivated by the Navy for Korean War duty in 1951.
According to Gene Stone (who was stationed at Santa Rosa in 1951),
the Navy established a fleet service squadron (FASRON 10) at Santa Rosa in 1951
for the sole purpose of assisting Carrier Air Group 2 in their preparations to go to Korea.
FASRON 10 departed Santa Rosa in 1952.
According to M.L. Shettle's book “United States Naval Air Stations of World War II, Vol. 2: Western States”,
“The station saw renewed activity during the Korean War by ADs, F4Us, and F9Fs.”
The 1952 San Francisco Local Aeronautical Chart (courtesy of Jonathan Westerling)
depicted “Santa Rosa OLF (Navy)” as having 2 paved runways,
with the longest being 7,000'.
According to M.L. Shettle's book “United States Naval Air Stations of World War II, Vol. 2: Western States”,
“Following the Korean War [~1953], the Navy deeded the facility to the City of Santa Rosa.
The airport was known as the Santa Rosa Air Center.”

A 1953 aerial view of Santa Rosa Air Center (from the UCSB Library, courtesy of Jonathan Westerling).

The Aerodromes table on the March 1954 USAF Sacramento Sectional Chart (courtesy of Chris Kennedy) listed the field as "Closed",
even though "Santa Rosa OLF (Navy)" was still depicted on the chart.

Santa Rosa "Naval Auxiliary Air Station”, a depicted on the 1954 USGS topo map (courtesy of Kevin Walsh).
Tim McCoy recalled, "I was in the Civil Air Patrol as a Cadet in the 1950s.
The CAP used NAF Santa Rosa as a base during that time, even if it did not show up on sectionals.
I remember 'camping' there as a cadet, and as kids would do we raced all over the place exploring.
We found a 0.50-caliber wing gun in the bushes alongside one of the runways.
We drug the thing around all day trying to sneak it home, but no go."
Santa Rosa was not depicted at all on the 1957 Sacramento Sectional Chart (according to Chris Kennedy).
According to the book "Two Hours By Crow" by Howard & Judith Campbell (courtesy of Wings of History),
“The Santa Rosa Naval Auxiliary Air Station was declared surplus in July 1958.”

A March 1960 photo of Captain Dick Quigley's Lockheed F-104A Starfighter being towed away from NAAS Santa Rosa, sans wings.
The Starfighter, based at nearby Hamilton AFB, suffered an engine failure at high altitude over Santa Rosa.
Rather than bail-out, as he was expected to do in this situation, he skillfully glided his F-104 to a dead-stick landing at the old Navy Santa Rosa air station.
A ground crew from Hamilton was sent to tow Quigley's Starfighter 10 miles along roads back to Hamilton.
The former NAAS Santa Rosa was labeled "Abandoned airport" on the 1961 Sectional Chart (courtesy of Dann Shively).
According to the book "Two Hours By Crow" by Howard & Judith Campbell (courtesy of Wings of History),
“The Santa Rosa Naval Auxiliary Air Station laid dormant until the General Services Administration auctioned the land off in 1961.
This was the time Darrell Sichel leased the hay crop & kept his Vought F4U Corsair there.
The field was bought up by Industrial Realty Company of California in 1961, renamed as the Air Center on 11/25/63 when the permit was issued,
and finally run by Harry Tollefson of Tollefson Flying Service in 1966.
The permit allowed the use of the north/south runway only.”

The former NAAS Santa Rosa was depicted as an abandoned airfield
on the 1966 Sacramento Sectional Chart (courtesy of Chris Kennedy).
At some point between 1966-67, Santa Rosa was reopened (once again) as a civilian airport, Santa Rosa Air Center (O01).
Santa Rosa Air Center was depicted on the 1967 Sacramento Sectional Chart (courtesy of John Voss)
with a single 7,0000' concrete runway.
John Hess recalled, "As a fledgling flight instructor in 1969, how well I remember the old fields.
I made a thousand landings there at least."
Carl Tollestrup recalled, “a B-29 or B-50 bomber that was stationed at the Santa Rosa Air Center during the early part of the 1970s.
I moved to Santa Rosa as a teenager in 1971.
We enjoyed going over to the Santa Rosa Air Center to look at a B-29 or B-50 bomber parked there.
The last I saw of it was when it finally flew out to somewhere. It was quite a sight to see it take off!”

A 1974 Chamber of Commerce map (courtesy of Kevin Walsh) depicted NAAS Santa Rosa as 2 runways,
labeled “Former Naval Air Training Strip, now privately-owned).

A 1976 aerial view of Santa Rosa (courtesy of Kevin Walsh).

A closeup from the 1976 aerial view of Santa Rosa (courtesy of Kevin Walsh),
showing aircraft on the west ramp, including what looks like the B-29 bomber described above.

An undated aerial view looking northeast at the Santa Rosa Air Center,
from an article entitled “Why save the Air Center?” in the 1978 Santa Rosa Airwaves (courtesy of Neil Cormia, via Jonathan Westerling).
According to the book "Two Hours By Crow" by Howard & Judith Campbell (courtesy of Wings of History),
“The National Transportation & Safety Board reported that this field's accident rate was 'extremely low',
recording 1.2 instances per 100,000 operations as against the national average of 2.3/100,000 operations between 1962-79.
By 1980 the City of Santa Rosa annexed the eastern half, closing & removing Runway 7/25.
The Marine Corps Reserve used the former administration building as a training base
and during the 1980s & 1990s the eastern end of the east/west runway was used as a storage yard for the City.
Originally there were 3 hangars, but a 150' x 70' wooden one burned down in 1980.
Since its opening as a 'private-public use' field the number of aircraft based here grew to a little over 80 machines in 1980.”

Santa Rosa Air Center, as depicted on the 1984 Sectional Chart (courtesy of Dann Shively).

A 1988 airport diagram of Santa Rosa Air Center.

Two January 1990 photos by Ken Mercer taken at the Santa Rosa Air Center,
showing several Convair airliners & a Lockheed PV-2.
Ken recalled the photos were taken “at the terminus of a cross county from Palo Alto & back.
Because it was a Super Bowl Sunday (the SF 49ers were playing in that particular game)
there was absolutely no air traffic anywhere in the Bay Area all the way up to Santa Rosa.
The hangar in the background is the same old, decrepit one shown in some of the later-day photos [several paragraphs below].”

A November 1990 photo by Geoff Godall of Convair T-29C Samaritan N87981 C/n 340 in front of a Santa Rosa Air Center hangar.

Santa Rosa Air Center, as depicted on the 1990 San Francisco Sectional Chart (courtesy of Dann Shively).
Santa Rosa Air Center closed in 1991,
having been replaced by the Sonoma County Airport, located further out of town to the northwest.
Jonathan Westerling reported, “The Santa Rosa Air Center was used to film Bruce Willis' 'Die Hard 2' in 1990
according to an article in the July 22 [2009] issue of the San Jose Mercury News.
The airport was used to depict [Washington] Dulles [International Airport] in the movie.”

A circa 1992 photo by Keith Rossetto of a sign warning of Santa Rosa Air Center's 3/1/92 closure.

A sad circa 1992 photo by Keith Rossetto of a forlorn set of 3 North American T-28 Trojans in foreign markings outside the former Santa Rosa maintenance hangar.
What was the story behind these T-28s?

A circa 1992 photo by Keith Rossetto of the Santa Rosa Air Center Fixed-Base Operator's office.

A 3/1/92 aerial view by Dave Ford looking northeast at Santa Rosa.

The last photo which has been located showing planes at Santa Rosa was a 3/1/92 photo by Dave Ford of Santa Rosa's former maintenance hangar.

A 3/1/92 photo (courtesy of Chuck Woodbury) of Jerry Kirka, Chuck Woodbury, and Dave Ford in a Piper,
“departing Santa Rosa Air Center the last day flying in or out was permitted.”
According to the book "Two Hours By Crow" by Howard & Judith Campbell (courtesy of Wings of History),
“The runway was closed in 1992, and a farewell Fly-In was held on March 1.”
According to M.L. Shettle's book “United States Naval Air Stations of World War II, Vol. 2: Western States”,
“In 1996, the property was in the hands of developers.”

In the 1997 USGS aerial photo, development had started to cover the airfield,
with new buildings having been built over the eastern portion of the east/west runway.
The north/south runway still remained intact, as did the ramp area on the northwest side of the former airfield.
The book "Two Hours By Crow" by Howard & Judith Campbell (courtesy of Wings of History) reported in 2002,
“Another 150' x 70' wooden hangar fell down recently, and the last 170' x 100' arch-truss structure was barely still standing when we revisited the site in September 2003.
What has happened to the two 10,000 gallon fuel tanks is unknown.
About 69 acres on the southeast comer between Yuba Drive & Ludwig Avenue is owned by the Army Corps of Engineers
and is used by the Federal Emergency Management Agency.
It was the location of their 7-antenna array of high-frequency radio transceiver facilities - one of only 10 in the country.”


A fantastic 2003 360-degree panoramic shot of the airfield remains at Santa Rosa by Jonathan Westerling,
taken from atop the pile of rubble of former runway pavement.

A 2003 photo by Jonathan Westerling of Santa Rosa's former maintenance hangar,
now quickly succumbing to the ravages of time.

A 2003 photo by Jonathan Westerling of a remaining portion of the former East/West runway, reused as a parking lot.
The yellow closed-runway "X" marking is still barely visible on the concrete in the center.

A 2003 photo by Jonathan Westerling looking west along the remains of the former East/West runway.
The reason for the airfield's demise is visible immediately beyond the runway - new houses.

Jonathan Westerling toured the site of the former airfield in 2003.
His observations: "The Santa Rosa Air Center is quickly on its way into history. The entire area is fenced off & marked 'private'.
Only 2 buildings of note still stand, one is the old maintenance hangar (falling down)
and the other is the old Air Service Reserve Center which is a much newer building, but has been abandoned."
Jonathan
continued, "Over the eastern half of the East/West runway,
several business parks have been constructed using the old runway as parking lots.
At the intersection of the runways, many, many houses have been built.
As a reminder of the many takeoffs & landings that happened here,
the streets of the subdivision have names like Orville, Doolittle, Yeager, Quimby and Earhart."
Jonathan continued, "Runway 16 is intact & in good condition for several thousand feet, and the threshold markings are still quite evident.
Also intact is the western end of the field, though only a thousand or so feet of concrete remain there.
Runway 34 has been broken up, and the concrete piled up into a large mound of rubble near the apron.
Overlooking the site from the top of this mound, it is easy to envision the aviation glory of the past, and the buildings of the future.
The site is easily seen from NorthPoint Parkway.
Travel to the end of the road (as of 2003) & look to the north & west to view what remains of the field."

A 2003 aerial photo by Sarah Lowrey,
looking west at the runways & ramps of the former NAAS Santa Rosa
which have not yet been covered by new housing & office developments.

A 2006 photo by Kevin Braafladt of the remaining former airfield pavement at the former Santa Rosa NAAS.

A 2006 photo by Kevin Braafladt of the the former ammunition bunker to the southeast of the former Santa Rosa NAAS.
John Hess recalled, "As a fledgling flight instructor in 1969, how well I remember the old fields.
It really sickens me to see the construction at the Santa Rosa Air Center.
I made a thousand landings there at least."

A circa 2006 aerial view looking east along the remains of Santa Rosa's East/West runway,
along with the remains of the ramp.
Note the houses built on top of the former runway.
Ken Mercer observed in 2007, “I hate to say it, but I drove through the now-developed property
about 6 months ago & the hangar is completely gone now.
A large portion of Runway 16/32 remains in great shape, though, along with the taxiways & apron area.
I'm not sure what will happen to those, but housing developers are gradually filling in the northern portion of that runway.”

A March 2007 aerial view by Ian Carisi looking southeast at the remains of the Santa Rosa runways.
Ian noted, “It's a shame that they built the houses right where the runways used to be. It's a big slap in the face.”

A March 14, 2009 photo by Tim Tyler of the former NAAS Santa Rosa compass rose.
Tim reported, “I took a couple friends up to the former NAAS Santa Rosa,
mostly to poke through the old 'bomb dump' area which was reused from the 1950s – 1990s
by the agency we know of today as FEMA for their federal regional center & later just their HF radio communications annex,
utilizing the old munitions storage facilities.
Much of the old NAAS is long-gone, save for the munitions area & parts of the runway/ramp areas.”
____________________________________________________
Santa Rosa Municipal Airport / Steiner Field, Santa Rosa, CA
38.473, -122.737 (Northwest of San Francisco, CA)

Santa Rosa Municipal Airport, as depicted on a 1929 aerial view looking east.
The original airport for the town of Santa Rosa was a small field located on the northwest side of Santa Rosa.
According to the book "Two Hours By Crow" by Howard & Judith Campbell (courtesy of Wings of History),
“In 1928 the Santa Rosa Chamber of Commerce took an option to buy 127 acres from the Fountain Grove Ranch 2¾ miles to the northwest & scrape out 3 runways.
Local pilot Marino Guglielmetti was hopping rides in the Maddux Airlines Ford 4-A T-B Tri-Motor - NC4532 on 1/1829 in a fairly strong crosswind.
After two tries, each drifting to the side, Marino put it down hard; but it drifted off the runway into the 'soft stuff & nosed over.
The fuselage broke in the middle & crushed two bulkheads. The pilot & his 5 passengers were not hurt & the Ford was rebuilt on the very spot where the nose-over had occurred.
They would call it the Fountain Grove Landing Field, but the Richfield Oil Company leased the land, built a Spanish-style bright yellow station,
erected a huge blue and yellow beacon tower to the east on a bend on the Redwood Highway, and had the entire facility dedicated on 5/18/29 as the Santa Rosa Airport.”
The earliest photo which has been located of Santa Rosa Municipal Airport was a 1929 aerial view.
It depicted Santa Rosa as having 2 runways, with a hangar on the northwest side with “Santa Rosa” painted on its roof.

A postmark commemorated the 5/10/29 Dedication of Santa Rosa Municipal Airport.

The 10/29/29 Commerce Department Airway Bulletin (courtesy of Jonathan Westerling)
described Santa Rosa Municipal Airport as owned & operated by the Richfield Oil Company.
The field was said to be located 2 miles northwest of Santa Rosa, and to consist of a 110 acre irregularly-shaped sod field,
within which were 2 runways, 2,000' northeast/southwest & 1,200' northwest/southeast.
A hangar was located on the north side of the field, and a beacon tower to the east.

An undated aerial view looking northeast at Santa Rosa Municipal Airport from the 1930 Richfield Airport Directory (courtesy of Jonathan Westerling).
It depicted Santa Rosa as having 2 runways, with a hangar on the north side & a Richfield beacon on the east side.
According to the book "Two Hours By Crow" by Howard & Judith Campbell (courtesy of Wings of History),
“By 1935, the Chamber purchased the land from the Oil Company & presented the field to the city because they could use federal funds supplied by the Works Progress Administration (WPA) to improve the site.
March 18, 1936 saw the formal dedication of the facility to the City of Santa Rosa.
The WPA laid down 8 inches of tuffaceous (porous volcanic) rock over the 3,000', 2,000' and 1,800' runways & rolled them into hard surfaces.
This earned the airport the title of 'One of the finest landing fields owned by a city of comparable size anywhere in the entire country.'
It was rededicated as a municipal field on 11/8/36.”
A 1936 airport directory (courtesy of Jonathan Westerling) described the Santa Rosa Municipal Airport in basically an unchanged fashion.

The earliest aeronautical chart depiction which has been located of the Santa Rosa Municipal Airport was on the May 1936 Sacramento Sectional Chart.
It depicted Santa Rosa as a commercial/municipal airport.
According to the book "Two Hours By Crow" by Howard & Judith Campbell (courtesy of Wings of History),
“In 1937 the city officially named it Steiner Field after the late city manager Fred Steiner who died just days after the dedication.
This noble gesture was wasted as everyone still called it Santa Rosa Municipal Airport.”
An undated aerial view looking northeast at the Santa Rosa Municipal Airport
from The Airport Directory Company's 1937 Airport Directory (courtesy of Bob Rambo).
The field was described as an irregularly-shaped sod field containing 3 runways,
with the longest being the 3,000' northeast/southwest strip.
It was labeled Steiner Field on the April 1937 Sacramento Sectional Chart.
According to the book "Two Hours By Crow" by Howard & Judith Campbell (courtesy of Wings of History),
“World War II closed [Steiner Field] on 12/8/41 by orders of the Army.
The land was subsequently picked up by the Indian Creek Lumber Company, its neighbor to the south, and the entire district became an industrial complex.”

A 1942 ACSC map (courtesy of Kevin Walsh) depicted Steiner Field as a rectangular property outline generically labeled “Airport”.

A diagram from the 2002 book "Two Hours By Crow" by Howard & Judith Campbell (courtesy of Wings of History)
depicted Santa Rosa Municipal Airport / Steiner Field as having 3 runways & a hangar on the north side.
The book observed, “Note the location of the Richfield Oil beacon tower.
The new Highway 101 & an overpass sit right over the old foundations.
The service station building was moved & is now a private home at 2431 Lomitas Avenue, Santa Rosa.”

The last aeronautical chart depiction which has been located of the Steiner Field was on the May 1945 Sacramento Sectional Chart.
It depicted Steiner as an auxiliary airfield.
Steiner Field was evidently closed (for reasons unknown) at some point in 1945,
as it was no longer depicted on the October 1945 Sacramento Sectional Chart.

A 6/8/52 USGS aerial photo depicted both traces of the the original Santa Rosa Municipal Airport (signs of the 3 runways on the south),
as well as the new Santa Rosa Airpark (the single northeast/southwest runway on the northwest).

A 1953 aerial photo (courtesy of Jonathan Westerling)
depicted both the original Santa Rosa Municipal Airport (the 3 fairly wide runways on the south),
as well as the new Santa Rosa Airpark (the single northeast/southwest runway on the north).

As seen in a 2013 aerial photo, the site of Santa Rosa Municipal Airport has been densely redeveloped.
____________________________________________________
Santa Rosa Airpark / Trap Field, Santa Rosa, CA
38.477, -122.741 (Northwest of San Francisco, CA)

Santa Rosa Airpark, as depicted on the September 1946 Sacramento Sectional Chart.
Santa Rosa Airpark was not yet depicted on the February 1946 Sacramento Sectional Chart.
According to the book "Two Hours By Crow" by Howard & Judith Campbell (courtesy of Wings of History),
“With Hopper Avenue bordering on the north & Piner Creek on the west, this 39-acre hay field beside the old Santa Rosa Airport was purchased from Dave Compton by Ernest Thomas in 1946.
Dave developed the field & then sold it to Ernest Thomas on 6/19/46. Ernie had been the manager up till then.
By this time the field had turned into an 'airpark' with 2 grass runways, one later abandoned because of drainage problems, complete with lights that could be turned on by the pilot's radio request.
A nondescript dirt road was changed to 'Airway Drive' by the County Supervisors
and it was there that the Administration Building, fuel stand, gangar for 7-8 planes, and the Fixed Base Operator's shop were strung out from the north to where Industrial Drive would cross in later years after the airport had closed.
There was also a 10-plane T-hangar in the comer of Hopper Avenue & Piner Creek.”
The earliest depiction which has been located of Santa Rosa Airpark was on the September 1946 Sacramento Sectional Chart.
It depicted Santa Rosa Airpark as a commercial/municipal airport.
According to the book "Two Hours By Crow" by Howard & Judith Campbell (courtesy of Wings of History),
“Ernest Thomas was issued Non-Scheduled Air Carrier Operating Certificate # 6-50 on 3/18/47 by the Civil Aeronautics Administration enabling him to fly passengers on sight-seeing trips over the area.
Using his North American Navion, these trips also acted as sales tools as the Airpark had become a dealer for Ercoupe, Cessna, Culver and Navion airplanes.
One of the promotions was a 2-for-1 flight in an effort to draw potential flight students from the Sebastopol area.
Glen Reed sold a $500 'investment' in the field to a San Francisco man (who declined to be named) & left town.
Four months later, the S.F. police were still unable to find Reed & confirmed that the 'investment' was probably not valid.”

The 1947 USGS topo map depicted Santa Rosa Airpark as a commercial/municipal airport.
According to the book "Two Hours By Crow" by Howard & Judith Campbell (courtesy of Wings of History),
“An airshow was held on 7/18/48 put on by the Sebastopol Flying Club (not the Sebastopol Aero Club of 1930) complete with parachutists, model airplanes, and stunt flying.
The life of this field was drawing to an end & when the Marine Corps recalled Ernest Thomas to active duty in Korea, and the airpark was closed”, shortly thereafter.
The 1948 Sacramento Sectional Chart (courtesy of Jonathan Westerling) depicted Santa Rosa Airpark as having a 2,200' unpaved runway.

Santa Rosa Airpark may have briefly gone by the name “Trap Field”, as that is how it was labeled on a 1948 ACSC map (courtesy of Kevin Walsh).

Ironically the 1949 ACSC map (courtesy of Kevin Walsh) labeled the field with a different spelling of “Tarp Field”.

The last aeronautical chart depiction which has been located of Santa Rosa Airpark was on the 1949 Sacramento Sectional Chart (courtesy of Kevin Walsh).
It depicted Santa Rosa Airpark as having a 2,200' unpaved runway.

Confusingly, the 1949 CSAA map (courtesy of Kevin Walsh) labeled this field as “Santa Rosa Municipal Airport”.

The earliest photo which has been located of Santa Rosa Airpark was an undated aerial view looking north from the 1950 Air Photo Guide (courtesy of Kevin Walsh).
The guide described Santa Rosa Airpark as having an 1,800' dirt north/south runway, and listed the manager as P.B. See.

A diagram from the 2002 book "Two Hours By Crow" by Howard & Judith Campbell (courtesy of Wings of History)
depicted Santa Rosa Airpark as having a single northeast/southwest runway tightly surrounded by streets.

The 1952 CSAA map (courtesy of Kevin Walsh) continued to label this field as “Santa Rosa Municipal Airport”.

A 6/8/52 USGS aerial photo depicted both traces of the the original Santa Rosa Municipal Airport (signs of the 3 runways on the south),
as well as the new Santa Rosa Airpark (the single northeast/southwest unpaved runway on the northwest).

A 1953 aerial photo (courtesy of Jonathan Westerling) depicted both the Santa Rosa Airpark (a single northeast/southwest runway on the north),
as well as the original Santa Rosa Municipal Airport (the 3 fairly wide runways on the south).
The runway at Santa Rosa Airpark had evidently been paved at some point between 1952-53.
The date of closure of the Santa Rosa Airpark has not been determined.
According to Jonathan Westerling, the whole area was completely redeveloped after 1953.
This redevelopment changed many of the roads in the vicinity.
According to the 2003 issue of the Journal of the Sonoma County Historical Society (courtesy of Tom Thompson),
Santa Rosa Coddingtown Airport was built off of Piner Road in 1960,
at which point the Santa Rosa Airpark had presumably been closed.
A 1965 aerial photo (courtesy of Jonathan Westerling) showed that development had obliterated any signs of the previous 2 airports by this time.

As seen in a 2013 aerial photo, the site of Santa Rosa Airpark has been densely redeveloped.
____________________________________________________
Santa Rosa Metropolitan Airport / Santa Rosa Coddingtown Airport, Santa Rosa, CA
38.475, -122.74 (Northwest of San Francisco, CA)

A Bell 47 helicopter & Fairchild C-119 on display at the 1960 dedication of Coddingtown Airport.
According to Jonathan Westerling, the redevelopment of the area northwest of Santa Rosa after 1953
“included the construction of the last iteration of an airport here, known as Metropolitan / Coddingtown.
This final airfield was in the same general location,
but had a runway oriented North/South so it would fit in between the other streets in what had become an industrial area of town.”
Santa Rosa Metropolitan / Coddingtown Airport was not yet depicted on the September 1960 Sacramento Sectional Chart.
Santa Rosa Metropolitan / Coddingtown Airport was built off of Piner Road in 1960,
(according to the 2003 issue of the Journal of the Sonoma County Historical Society, courtesy of Tom Thompson).
According to the book "Two Hours By Crow" by Howard & Judith Campbell (courtesy of Wings of History),
“The land under this field was purchased from Ernest Thomas of Santa Rosa Air Park & added to more acreage from the Indian Creek Lumber Company.
The runway was then realigned & the field opened in 1960.”
The earliest depiction which has been located of Coddingtown Airport
was a 1960 photo of a Bell 47 helicopter & Fairchild C-119 on display at Coddingtown Airport's dedication.

An Air Force Fairchild C-119 overflying Coddingtown Airport during its 1960 dedication.
According to the book "Two Hours By Crow" by Howard & Judith Campbell (courtesy of Wings of History),
“The paved runway started as 3,260' but improvements to Piner Road shortened it to 3,020'.
Several hangars & T-hangars were at the north end with space for 51 planes & an additional 140 at tie-downs along the east side.
In fact, that 190+ aircraft was an average, indicating the popularity of this airport.
Tri-County Copters' machines, a Bell G-5 & a Hughes 269A, of Wilkinson Heliport were kept here so Ed Wilkinson could offer his rescue services, civil duties-including traffic control, and photo runs throughout the Russian River Valley.
Between 1960-64 Del Jones' Airpark Aero Services was the FBO & Bellanca dealer.”

The earliest aerial photo which has been located of Coddingtown Airport was a 1961 aerial photo (courtesy of Jonathan Westerling).
It depicted Coddingtown as having a single north/south paved runway.
Jonathan observed, “If you look carefully, you can still see the location of the original municipal airport just to the right of the Coddingtown runway.
From this photo, it is evident that the short-lived Santa Rosa Airpark
was covered over entirely when Coddingtown (Metropolitan) was constructed.”
The 1962 AOPA Airport Directory described “Santa Rosa Metropolitan Airport”
as having a single 3,800' paved runway, and listed the operator as "Andy's Aircraft Sales".

A 6/20/65 aerial photo (from the UCSB Library) depicted Coddingtown Airport as having a single north/south paved runway,
and a large number of light aircraft parked near the hangars at the northeast & southeast ends.

The airfield was evidently renamed Santa Rosa Coddingtown at some point between 1962-65,
as that is how it was labeled on the June 1965 Sacramento Sectional Chart (courtesy of Ron Kunse).
It was depicted as having a 3,200' paved north/south runway.
The 1966 Sacramento Sectional Chart (courtesy of Chris Kennedy) depicted Santa Rosa Coddingtown airport as having a single 3,200' paved runway.

A 1966 aerial view looking east at a number of light aircraft parked next to the Coddingtown Airport terminal building.
Coddingtown Airport was initially owned by Santa Rosa Enterprises.
Almost 200 planes were based at Coddingtown Airport at its height, including the Cessna 421 owned by Codding Enterprises.
The Aerodromes table on the 1967 Sacramento Sectional Chart (courtesy of John Voss)
described Santa Rosa Coddingtown as having a single 3,050' asphalt-concrete runway.

The 1968 Flight Guide (courtesy of Chris Kennedy) depicted Santa Rosa Coddingtown Airport as having a 3,050' paved Runway 16/34,
along with a ramp at the northeast side of the field, with at least 4 buildings (hangars?).
According to the book "Two Hours By Crow" by Howard & Judith Campbell (courtesy of Wings of History),
“It was owned by Santa Rosa Enterprises until 1968, and then transferred to Codding Enterprises - a name change only, as Hugh Codding was at the head of both companies.”

Strangely, the 1968 USGS topo map depicted the single north/south paved runway of Santa Rosa Coddingtown Airport, but did not label it at all.
Ownership of Coddingtown Airport was transferred to Codding Enterprises in 1968.

The last aerial photo which has been located of Coddingtown Airport was a 4/27/68 USGS aerial view.
It depicted Coddingtown Airport as a very narrow property,
consisting of a single north/south paved runway, with 9 single-engine aircraft parked around a few small buildings on the southeast side,
and 3 more single-engine aircraft parked around another small building on the northeast side.

The last photo which has been located of Coddingtown Airport was a 1969 photo of a Cessna 310 taking off or landing,
with a row of other light general aviation aircraft & hangars in the background.
According to the book "Two Hours By Crow" by Howard & Judith Campbell (courtesy of Wings of History),
“On 1/20/69 Alvin Marks brought Skymark Airline service into the field & within a couple of months had merged with Cable Commuter, Aero Commuter, Catalina Airlines, and Golden West to form the Golden West Airlines, Inc.”
A 1/2/69 article in the Geyserville Press (courtesy of Jonathan Westerling)
“mentioned that Coddingtown Airport may have had scheduled airline service for a time.
Skymark Airlines, who was to offer the flights, was merged into Golden West airlines about this time, and it is unknown if any flights actually took place.”
Jim Murphy recalled, “From 1969-71 I, Gary Gilmore and Dick East operated the Fixed Base Operation at Coddingtown Airport.
Our air taxi, flight school, plane rental, gas services, Private, Commercial and Instrument ground school / flight instruction
and aeronautical merchandise sales occupied the main office that is now the bus depot.
Our rentals were all parked in front of the terminal building (taxiway side) & included one (very old) twin Apache, one Piper 180, 2 Piper 140s & one Citabria.
We also for a short period oversaw Hugh Codding's Cessna 421 & piloted it to his various business endeavors.”
Tim McCoy recalled, "The airport was never popular, as it was too close to residential Santa Rosa,
and there were continuous complaints about noise, and low flying planes.
When it was in operation I flew into it a couple of times & even before all the hoopla about 'noise pollution' you had to do a little dance to land there."
According to the book "Two Hours By Crow" by Howard & Judith Campbell (courtesy of Wings of History),
“The Flight Deck Restaurant & adjacent bar were operated by Russell Davis through these early years but by 1970 there were persistent rumors of the sale of the land.
The barber shop at the Piner Road end lasted the longest but it too is gone.
The sale became a fact in 1971 & the main portion of the field became a parking lot for the buses of the Golden Gate Transit District.
This author's logbook listed this as a fuel stop on 7/10/71. It would be the last time we could use the runway! We wondered, 'Why are there so many buses on the east side?'”

The last aeronautical chart depiction which has been located showing the Santa Rosa Coddingtown Airport runway still open was on the November 1971 San Francisco Sectional Chart (courtesy of Ron Plante).
Irt depicted Santa Rosa Coddingtown Airport as having a paved north/south 3,000' runway.
According to the Sonoma County Historical Society, Coddingtown Airport "was closed by 1972."

A 1976 aerial view (courtesy of Kevin Walsh) showed that several buildings had been built over the site of Coddingtown Airport,
but a portion of the runway remained intact, along with the hangars on the northeast side.

Santa Rosa Coddingtown Airport was still depicted on the 1980 USGS topo map.

Santa Rosa Coddingtown continued to have a more limited aviation use for at least a few years,
as it was depicted as “Santa Rosa Coddington (Heliport Only)” on the April 1980 San Francisco Sectional Chart.
Santa Rosa Coddingtown was listed as a heliport in the 1982 & 1986 Pilot’s Guide to California Airports (according to Jonathan Westerling).
The Santa Rosa Coddingtown Heliport was evidently closed at some point between 1986-93, as it was no longer depicted on the October 1993 San Francisco Sectional Chart (courtesy of Ron Plante).
Tim McCoy reported in 2004, "I had an engineering business & rented space in one of the hangars on what was Coddingtown Airport.
The current owner has a large winery, and uses it to store wine.
The owner started with a manufacturing company that built heating & air-conditioning equipment for industrial users,
he sold that company but it still operates on the site; he still owns all the property.
Most of the hangars & the main office building are still there."
The book "Two Hours By Crow" by Howard & Judith Campbell (courtesy of Wings of History) reported in 2004,
“The hangars at the north end are now used as wine storage barns for the DeBaun Chateau Winery even though the balance of the field has been obliterated.”

As seen in a circa 2006 aerial photo, the site of the former Santa Rosa Coddingtown Airport has been densely redeveloped.
According to Bruce Codding, the former Santa Rosa Coddingtown Airport was located "at the corner of Piner Road & Airway Drive.
Where the terminal used to be is now a Golden Gate transit bus terminal. Some of the runway is still undeveloped & visible."

A collage by Jonathan Westerling “of 2009 photos transposed over the 1968 [Coddingtown] Airport layout and a 1994 aerial photo of the site
indicates some of the Coddingtown infrastructure which has survived.
While a main office is not indicated on the airport layout, the architecture & materials of this building strongly suggest this was the airport office.”
____________________________________________________
____________________________________________________
This site covers airfields in all 50 states.